Valutazione immobiliare indipendente, accurata e gratuita
Terreno edificabile in vendita a Nervesa della Battaglia a 95.000 € (cod.6587a9de)
Caasa non ha sufficienti informazioni per commentare il terreno edificabile a Nervesa della Battaglia - 6587a9de.
Analisi immobiliare
I dati in posseso di Caasa per quest'immobile sono insufficienti, inaffidabili o contraddittori per proporre un'analisi attendibile.
Mercato immobiliare a Nervesa della Battaglia
Per quanto riguarda più in generale il comune di Nervesa della Battaglia, sono presenti al momento più di venti annunci per
terreni edificabili in vendita (meno del 5% dell'intera provincia)
e il maggior numero di annunci per questa tipologia sono relativi alla zona di Santa Croce.
Vedi altre informazioni direttamente su
Mercato-Immobiliare.info
NOVITÀ Il risultato che vedi dipende dai dati che siamo riusciti ad estrarre dall'annuncio: ottieni una stima più accuranta di questo immobile, inserendo dati più precisi.
N.B. L'Opinione di Caasa® è un servizio sperimentale realizzato tramite tecniche di Intelligenza Artificiale, fornito senza alcuna garanzia di correttezza e completezza. Leggi il disclaimer o segnalaci un problema.
IMMAGINI
IN SINTESI
PROPOSTO DA:
ACCORDI IMMOBILIARI
Corso Mazzini, 79, Montebelluna (TV)
Verificata da Caasa®
DESCRIZIONE
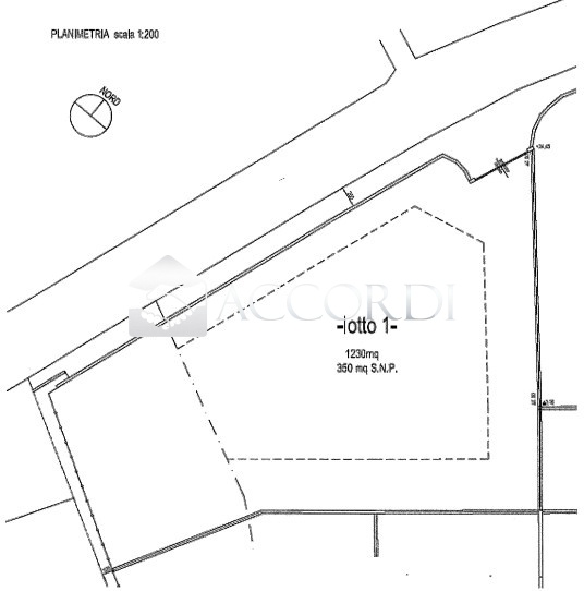
RIF.PT3 TERRENO EDIFICABILE IN BELLA POSIZIONE NERVESA DELLA BATTAGLIA, Frazione - Cerchi casa sul Montello ? Cerchi un ambiante rilassante e confortevole dove vivere? Ti proponiamo questo terreno edificabile, dove costruire la tua casa, secondo i tuoi gusti e le tue necessità. Lotto di mq. 1250 , utili per una casa singola o una bifamiliare. MAGGIORI INFO IN AGENZIA. Siamo felici di aiutarti a scegliere la casa migliore per la tua famiglia: chiamaci per fissare un appuntamento con i nostri incaricati. Si intende precisare che gli indirizzi presenti negli annunci non sono identificativi dell'ubicazione precisa dell'immobile, danno un riferimento solo generico della zona al cliente che ricerca, al fine di tutelare la privacy e riservatezza del venditore. Per visionare l'immobile o per ricevere ulteriori informazioni contattateci: 0423 1904721. - Le nostre sedi : Montebelluna (TV) - Maser (TV) - Conegliano (TV) - Jesolo (VE). - SC9450691







