Valutazione immobiliare indipendente, accurata e gratuita
Locale commerciale in vendita a Quarrata a 800.000 € (cod.6581b368)
Caasa non ha sufficienti informazioni per commentare il locale commerciale in vendita a Quarrata - 6581b368.
Analisi immobiliare
I dati in posseso di Caasa per quest'immobile sono insufficienti, inaffidabili o contraddittori per proporre un'analisi attendibile.
Mercato immobiliare a Quarrata
Per quanto riguarda più in generale la città di Quarrata, sono presenti al momento più di trenta annunci per
locali commerciali in vendita (quasi il 20% dell'intera provincia)
e il maggior numero di annunci per questa tipologia sono relativi alla zona di Montemagno.
Per quanto riguarda la dinamica dei prezzi, negli ultimi 6 mesi i prezzi medi in tutta la città per locali commerciali in vendita sono
in sostanziale calo (-6,12%).
NOVITÀ Il risultato che vedi dipende dai dati che siamo riusciti ad estrarre dall'annuncio: ottieni una stima più accuranta di questo immobile, inserendo dati più precisi.
N.B. L'Opinione di Caasa® è un servizio sperimentale realizzato tramite tecniche di Intelligenza Artificiale, fornito senza alcuna garanzia di correttezza e completezza. Leggi il disclaimer o segnalaci un problema.
IMMAGINI
IN SINTESI
DESCRIZIONE
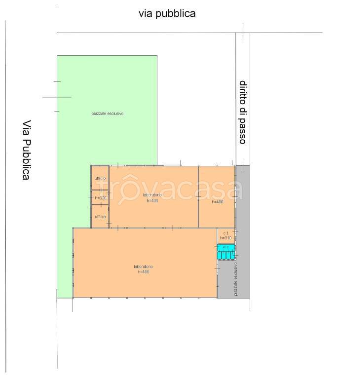
Scopri questo ampio capannone situato nella zona industriale di Quarrata, un'opportunità unica per le tue esigenze commerciali. Con una superficie totale di circa 1.400 mq, offre spazi versatili e funzionali, perfetti per attività produttive o magazzinaggio. La struttura, caratterizzata da affascinanti volte, conferisce un tocco di originalità all'ambiente di lavoro. La parte frontale del capannone dispone di circa 1.000 mq di resede, ideale per la movimentazione di merci e parcheggio. L'altezza alle catene di 4 metri garantisce un'ottima fruibilità degli spazi. Inoltre, la presenza di vari resedi e uscite di sicurezza su ogni lato assicura un accesso pratico e sicuro. Le condizioni generali sono buone, ma è necessario effettuare alcuni aggiornamenti impiantistici in base alle attività svolte. Il prezzo è davvero competitivo e trattabile, rendendo questa proposta ancora più interessante per imprenditori e investitori. Non perdere l'occasione di visitare questo capannone versatile e ben posizionato! Contattaci per maggiori informazioni e per organizzare una visita


