N.B. Tutti le informazioni immobiliari sono fornite senza alcuna garanzia. Leggi il disclaimer.
Vendesi terreno residenziale ad Ariano Irpino PREMIUM
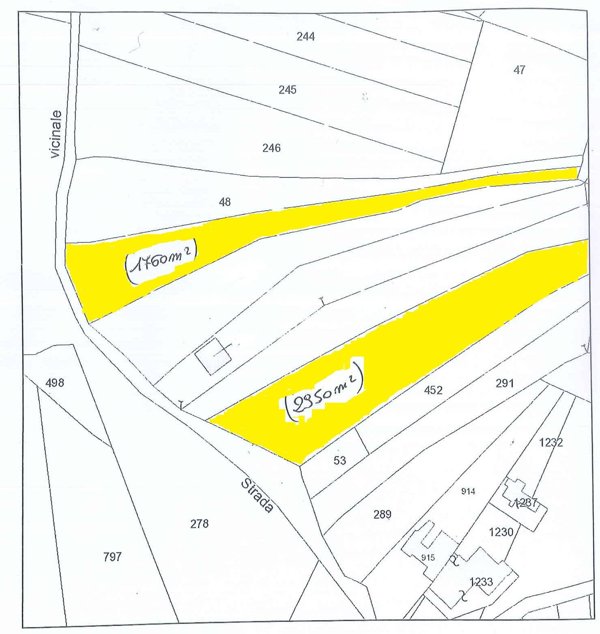
Vendesi terreno residenziale ad Ariano Irpino
terreno agricolo 32.000 €
Nel comune di Ariano Irpino (AV) e precisamente in Contrada Ponnola a soli 400 metri dal presidio ospedaliero Sant’ Ottone Frangipane, proponiamo in vendita terreno edificabile di 2560 mq di categoria B3. Il lotto offre la possibilità di edificare un immobile di circa 300 mq. Per tutte le maggiori inform […]
LEGGI ANCORA
Terreno Agricolo in vendita a Ariano Irpino, Contrada Vallone di Valle
Terreno residenziale in vendita ad Ariano Irpino
terreno agricolo Cardito 150.000 €
Nel comune di Ariano Irpino (AV) e precisamente in Contrada Cardito, proponiamo in vendita terreno edificabile di 4.765 mq di categoria B2. Diviso in due lotti, offre la possibilità di costruire fino a 2.382,5 mq, perfetto per progetti residenziali o terziari. La zona è destinata prevalentemente a usi te […]
LEGGI ANCORA
Terreno Agricolo in vendita a Ariano Irpino, contrada Cesine
terreno agricolo
In zona agricola La Real House Immobiliare propone in vendita terreno agricolo di circa 23846 con piantagioni di ulivi, accesso su strada comunale e servito di acqua potabile. Ad ultimare la propriet deposito agricolo di circa 150 mq. OTTIMO INVESTIMENTO. - SC9522473
LEGGI ANCORA
Terreno Agricolo in vendita a Ariano Irpino, contrada cariello
terreno agricolo
La Real House Immobiliare, propone in vendita tre lotti di terreno agricoli di mq 17.000 totali. 1° lotto di mq 4050 si presenta pianeggiante ad uliveto e con entrostante fabbricato rurale di 200 mq. 2° lotto di mq 8900 si presenta in parte pianeggiante e porzione scosceso ad uliveto e seminativo. 3° lot […]
LEGGI ANCORA
Vendesi terreno residenziale ad Ariano Irpino PREMIUM
Terreno in vendita a Ariano Irpino(AV
Terreno agricolo in vendita ad Ariano Irpino
Vendita Terreno agricolo contrada san tommaso Ariano Irpino (AV
terreno agricolo Contrada San Tommaso 65.000 €
In zona residenziale, a poca distanza dal presidio ospedaliero SANT OTTONE FRANGIPANE-BELLIZZI La Real House Immobiliare propone in vendita terreno agricolo di circa 20.000 mq pianeggiante, con piantagioni di alberi da frutta, ulivi e di natura seminativo. Lo stesso si presenta fronte strada con la possi […]
LEGGI ANCORA
Vendita casa indipendente santa maria a tuoro 7 Ariano Irpino (AV
terreno agricolo 95.000 €
In zona residenziale, poco distante da tutti i servizi, La Real House Immobiliare propone in vendita casa singola disposta su due livelli con doppio ingresso, composta da: al piano terra ingresso, soggiorno, cucina abitabile con camino; al piano primo bagno con doccia recentemente ristrutturato e due cam […]
LEGGI ANCORA
- prezzo medio casa indipendente in zona OMI R1 : 606 €/m²
- prezzo medio casa semindipendente in zona OMI R1 : 560 €/m²
Terreno Agricolo in vendita a Ariano Irpino, contrada cariello
Vendesi terreno residenziale ad Ariano Irpino PREMIUM
Vendita casa indipendente contrada masciano 56 Ariano Irpino (AV
terreno agricolo 70.000 €
In zona residenziale, La Real House Immobiliare propone in vendita casa singola disposta su due livelli, composta da: al piano terra, soggiorno, sala pranzo, cucina abitabile con termocamino e cantina di circa 30 mq; al piano primo, bagno con vasca e due camere da letto matrimoniali. Ad ultimare la propr […]
LEGGI ANCORA
- prezzo medio casa indipendente in zona OMI R1 : 606 €/m²
- prezzo medio casa semindipendente in zona OMI R1 : 560 €/m²
Terreno residenziale in vendita ad Ariano Irpino corso Vittorio Emanuele
terreno agricolo Corso Vittorio Emanuele 550.000 €
Boccuni & Schiano per l'impresa propongono: Un'opportunità d'investimento unica ad Ariano Irpino! Sei un costruttore, un investitore o un'impresa in cerca di un terreno con un potenziale illimitato? Proponiamo in vendita un terreno edificabile di 5500 mq situato in una delle zone più strategiche e richie […]
LEGGI ANCORA
Terreno Agricolo in vendita a Ariano Irpino, via sant'angelo torricelli
terreno agricolo 15.000 €
In zona residenziale e poco distante dal centro storico di Ariano Irpino, la Real House Immobiliare propone in vendita terreno agricolo di circa 6.640 mq fronte strada.Lo stesso si presenta scosceso, in gran parte boschivo e con alberi da frutta . Possibilit di allacciarsi alla conduttura di acqua potabi […]
LEGGI ANCORA
villa in vendita ad Ariano Irpino
terreno agricolo 289.000 €
La Domus Immobiliare di Ariano Irpino propone in Vendita Villa Singola di circa 300 Mq disposta su Due Livelli, composta da: Porticato Esterno, Ingresso, Salone Doppio con camino, Cucina Abitabile (angolo cottura e tinello), Tre Camere da Letto e Due Bagni al Piano Terra. Ampio Deposito, Garage e Cantina […]
LEGGI ANCORA
- prezzo medio casa indipendente in zona OMI R1 : 606 €/m²
- prezzo medio appartamento in zona OMI R1 : 588 €/m²
Casa singola in vendita a Ariano Irpino, contrada acquasalza
terreno agricolo 70.000 €
In zona periferica, la Real House Immobiliare propone in vendita casa singola disposta su due livelli, attualmente predisposta come bifamiliare, composta da: al PT ingresso, due cucine, soggiorno, camera da letto e bagno di servizio; al P1 due camere da letto matrimoniali, e bagno. Ad ultimare la proprie […]
LEGGI ANCORA
- prezzo medio casa indipendente in zona OMI R1 : 606 €/m²
- prezzo medio casa semindipendente in zona OMI R1 : 560 €/m²
Vendesi terreno residenziale ad Ariano Irpino PREMIUM
Casa singola in vendita a Ariano Irpino, contrada masciano
terreno agricolo 48.000 €
In zona periferica, La Real House Immobiliare, propone in vendita casa singola disposta su due livelli, composta da: al P T ingresso, soggiorno, cucina abitabile e bagno; al P 1° ,con ampio balcone, due camere da letto matrimoniali e bagno. Al piano S 1 cantina di circa 25 mq, locale deposito e tavernett […]
LEGGI ANCORA
- prezzo medio casa indipendente in zona OMI R1 : 606 €/m²
- prezzo medio casa semindipendente in zona OMI R1 : 560 €/m²
terreno agricolo in vendita ad Ariano Irpino
terreno agricolo 58.000 €
La Domus Immobiliare di Ariano Irpino propone in Vendita Soluzione Indipendente di circa 120 Mq su Due Livelli composta da: Ingresso in Ampia Veranda, Cucina Abitabile con Termocamino e Soggiorno al Piano Terra; Due Camere da Letto e Bagno al Piano Primo. Completano la proprietà Locali Deposito di circa […]
LEGGI ANCORA
- prezzo medio casa indipendente in zona OMI R1 : 606 €/m²
- prezzo medio appartamento in zona OMI R1 : 588 €/m²
Terreno agricolo in vendita ad Ariano Irpino
terreno agricolo 21.410 €
Riferimento: 4485494 località Vallone di Vallo, Ariano Irpino Avellino Intero della piena proprietà di terreno, ricadente in zona agricola, di circa mq 5.070, con entro fabbricato rurale in stato di abbandono e non accatastato. Data di vendita: 13/01/2026 Offerta minima: € 21.410 Studio di Fattibilità Pr […]
LEGGI ANCORA
Non perdere gli altri 12 annunci!







