Agenzia immobiliare a Forlimpopoli (Forlì-Cesena)
Rosso mattone di ambra faggioli - pagina 2 di 2

Non ancora verificata da Caasa®
E' la tua agenzia?
Annunci dell'agenzia

Nuovo piccolo complesso immobiliare che presenta il perfetto equilibrio tra comfort ed innovazione, composto da 4 villette, tutte angolari e posizionato in un contesto residenziale, con strada chiu…

Nuovo piccolo complesso immobiliare che presenta il perfetto equilibrio tra comfort ed innovazione, composto da 4 villette, tutte angolari e posizionato in un contesto residenziale, con strada chiu…

In contesto residenziale tranquillo e circondato da aree verdi, in zona servita adiacente al centro, luminoso appartamento inserito in ambito condominiale di sole sei unità. L'immobile di circa 92 …

Un luminoso bilocale con cantina, perfetto per chi cerca un'opportunità di investimento immobiliare nel cuore della città, spazi ben distribuiti e una posizione centrale lo rendono un immobile irre…

Casa indipendente plurifamiliare con 3 unità abitative, costituita da una palazzina anni '60 il piano terra e primo ed anni '80 il secondo piano, libera da ogni lato con parti comuni ed unico ingre…

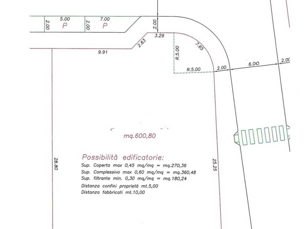
Terreno - In zona residenziale con strada chiusa al traffico, lotto di terreno edificabile di mq. 600, già urbanizzato, con potenzialità edificatoria di mq. 270

L'emozione di ristrutturare e sentirsi propria una casa, mantenendo anche il sapore del rustico e dei "tempi dimenticati", questo immobile è l'ideale. Casa indipendente articolata su due piani di c…

Terreno - Lotto di terreno edificabile pianeggiante di mq. 627 con indice di utilizzazione fondiaria 0,53 mq/mq. per chi vuole costruirsi una casa indipendente e riscoprire il fascino intramontabil…