Valutazione immobiliare indipendente, accurata e gratuita
Casa indipendente in vendita a Caldogno a 155.000 € (cod.65650f19)
Caasa non ha sufficienti informazioni per commentare la casa indipendente in vendita a Caldogno - 65650f19.
Analisi immobiliare
I dati in posseso di Caasa per quest'immobile sono insufficienti, inaffidabili o contraddittori per proporre un'analisi attendibile.
Mercato immobiliare a Caldogno
Per quanto riguarda più in generale il comune di Caldogno, sono presenti al momento più di cento annunci per
case indipendenti in vendita (meno del 5% dell'intera provincia)
e il maggior numero di annunci per questa tipologia sono relativi alla zona di Rettorgole.
Relativamente alla dinamica dei prezzi, possiamo dire che negli ultimi 6 mesi i prezzi medi in tutto il comune per case indipendenti in vendita sono
in aumento (+4,88%).
NOVITÀ Il risultato che vedi dipende dai dati che siamo riusciti ad estrarre dall'annuncio: ottieni una stima più accuranta di questo immobile, inserendo dati più precisi.
N.B. L'Opinione di Caasa® è un servizio sperimentale realizzato tramite tecniche di Intelligenza Artificiale, fornito senza alcuna garanzia di correttezza e completezza. Leggi il disclaimer o segnalaci un problema.
IMMAGINI
IN SINTESI
DESCRIZIONE
con giardino
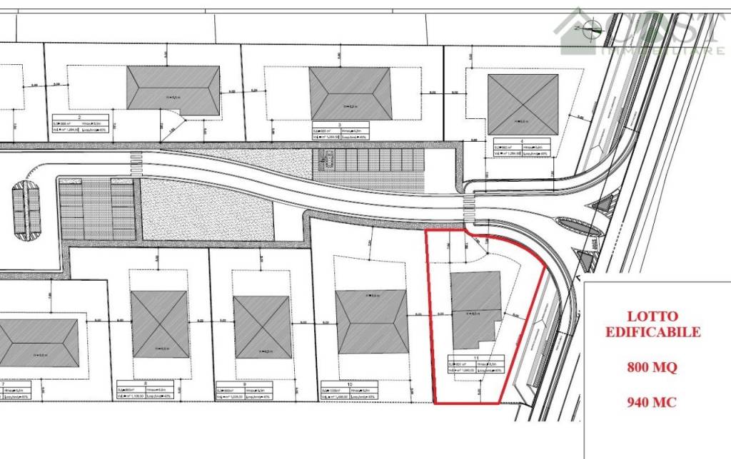
Proponiamo la vendita di un lotto di terreno edificabile già urbanizzato di 800 MQ con 940 MC sviluppabili, ideale per la costruzione di una importante Villa singola su unico livello, o di una bifamiliare su due livelli. La posizione risulta essere strategica ed ottimamente collegata tramite pista ciclabile e mezzi pubblici sia con il Comune di Caldogno che verso la città di Vicenza. La lottizzazione di cui fa parte il terreno offre ampi parcheggi ed aree verdi. La nostra agenzia sta collaborando con una impresa di fiducia per dare la possibilità di acquistare anche l'immobile finito "chiavi in mano" concordando il progetto adattato alle proprie esigenze. Per ulteriori informazioni e dettagli non esitate a chiamare! COST IMMOBILIARE, la tua CASA come la immaginavi DOVE la desideravi a Vicenza e Provincia. Strada Marosticana, 170 - Vicenza Tel. 0444-324955 Mobile/WhatsApp 340-9500542

