Valutazione immobiliare indipendente, accurata e gratuita
Capannone in vendita a San Bonifacio (cod.64e23a2e)
Caasa non ha sufficienti informazioni per commentare il capannone in vendita a San Bonifacio - 64e23a2e.
Analisi immobiliare
I dati in posseso di Caasa per quest'immobile sono insufficienti, inaffidabili o contraddittori per proporre un'analisi attendibile.
Mercato immobiliare a San Bonifacio
Per quanto riguarda più in generale la città di San Bonifacio, sono presenti al momento più di trenta annunci per
capannoni in vendita (meno del 10% dell'intera provincia) .
Vedi altre informazioni direttamente su
Mercato-Immobiliare.info
NOVITÀ Il risultato che vedi dipende dai dati che siamo riusciti ad estrarre dall'annuncio: ottieni una stima più accuranta di questo immobile, inserendo dati più precisi.
N.B. L'Opinione di Caasa® è un servizio sperimentale realizzato tramite tecniche di Intelligenza Artificiale, fornito senza alcuna garanzia di correttezza e completezza. Leggi il disclaimer o segnalaci un problema.
IMMAGINI
IN SINTESI
DESCRIZIONE
di nuova costruzione di nuova costruzione senza ascensore
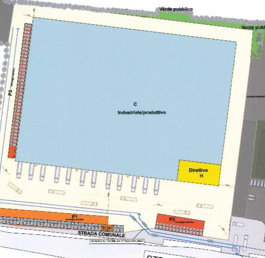
In splendida posizione strategica con doppia visibilità AUTOSTRADALE E DA STRADA REGIONALE PADANA SUPERIORE, il nostro studio immobiliare propone in esclusiva capannone con superficie lorda utile di 23.000 mq e superficie coperta 15.000 mq con 12 bai […]
