Valutazione immobiliare indipendente, accurata e gratuita
Appartamento in vendita a San Bonifacio (cod.64b46770)
Caasa non ha sufficienti informazioni per commentare l'appartamento in vendita a San Bonifacio - 64b46770.
Analisi immobiliare
I dati in posseso di Caasa per quest'immobile sono insufficienti, inaffidabili o contraddittori per proporre un'analisi attendibile.
Mercato immobiliare a San Bonifacio
Per quanto riguarda più in generale la città di San Bonifacio, sono presenti al momento più di 200 annunci per
appartamenti in vendita (meno del 5% dell'intera provincia) .
Per quanto riguarda la dinamica dei prezzi, negli ultimi 6 mesi i prezzi medi in tutta la città per appartamenti in vendita sono
sostanzialmente stabili (+0,69%).
NOVITÀ Il risultato che vedi dipende dai dati che siamo riusciti ad estrarre dall'annuncio: ottieni una stima più accuranta di questo immobile, inserendo dati più precisi.
N.B. L'Opinione di Caasa® è un servizio sperimentale realizzato tramite tecniche di Intelligenza Artificiale, fornito senza alcuna garanzia di correttezza e completezza. Leggi il disclaimer o segnalaci un problema.
IMMAGINI
IN SINTESI
PROPOSTO DA:
GESTISEI SAS DI SCAROLA NICOLA & C
DESCRIZIONE
di nuova costruzione di nuova costruzione da ristrutturare
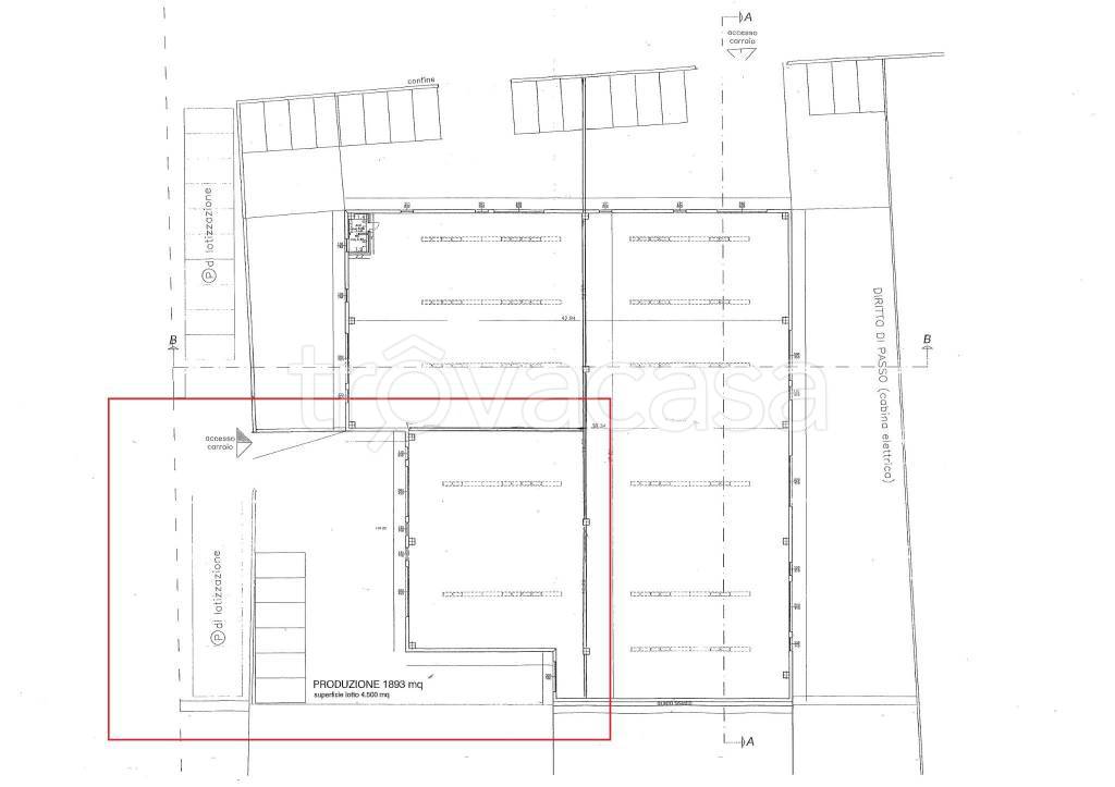
San Bonifacio (VI) – A pochissimi metri dal Casello Autostradale A4 Soave, proponiamo in vendita porzione di capannone di nuova costruzione di mq 380, ideale per attività artigianali, produttive o di deposito. L’immobile presenta altezza interna utile di mt 8 ed è dotato di doppi servizi igienici e anello antincendio perimetrale, assicurando elevati standard funzionali e di sicurezza. Completa la proprietà ingresso carraio indipendente e mq 400 di area esterna esclusiva, perfetta per operazioni di carico/scarico e parcheggio. Soluzione moderna in posizione strategica ad altissima accessibilità. Altre informazioni riservate in ufficio. Il contenuto di ogni singolo annuncio viene pubblicato sotto la diretta responsabilità degli interessati. L'agenzia è sollevata da ogni responsabilità civile e penale dei contenuti. I valori e le foto pubblicate degli immobili sono puramente indicativi per non specifica degli esatti comparti o porzioni degli immobili pubblicati. Gli annunci immobiliari pubblicati non costituiscono elemento contrattuale. Foto e planimetrie puramente dimostrative. Mediahold impresa (IRE) è appartenente al gruppo Gesticasa con sede a Lonigo (Vi) in piazza San Marco n.9, fondata nel 1996. Il gruppo “Gesticasa S.r.l.” è un’azienda certificata qualità UNI EN ISO 9001:2000 TUV NORD n. 100000698 del 23.12.2006, per servizio di vendita e locazione immobili residenziali, industriali, commerciali. Nel corso di questi anni ha sviluppato i tradizionali servizi di consulenza dedicati alla casa, estendendo con specifici professionisti le competenze a tutti i settori immobiliari, in particolare gli immobili produttivi. Mediahold impresa (IRE) è in grado di rispondere in modo esaustivo con soluzioni diversificate e personalizzate alla domanda da parte di privati, aziende ed operatori. PER MOTIVI DI PRIVACY L’INDIRIZZO RIPORTATO SULLA MAPPA NON CORRISPONDE ALLA REALE UBICAZIONE DELL’IMMOBILE

