Valutazione immobiliare indipendente, accurata e gratuita
Locale commerciale in vendita a San Bonifacio (cod.64b4676d)
Caasa non ha sufficienti informazioni per commentare il locale commerciale in vendita a San Bonifacio - 64b4676d.
Analisi immobiliare
I dati in posseso di Caasa per quest'immobile sono insufficienti, inaffidabili o contraddittori per proporre un'analisi attendibile.
Mercato immobiliare a San Bonifacio
Per quanto riguarda più in generale la città di San Bonifacio, sono presenti al momento più di venti annunci per
locali commerciali in vendita (meno del 10% dell'intera provincia) .
NOVITÀ Il risultato che vedi dipende dai dati che siamo riusciti ad estrarre dall'annuncio: ottieni una stima più accuranta di questo immobile, inserendo dati più precisi.
N.B. L'Opinione di Caasa® è un servizio sperimentale realizzato tramite tecniche di Intelligenza Artificiale, fornito senza alcuna garanzia di correttezza e completezza. Leggi il disclaimer o segnalaci un problema.
IMMAGINI
IN SINTESI
PROPOSTO DA:
GESTISEI SAS DI SCAROLA NICOLA & C
DESCRIZIONE
di nuova costruzione di nuova costruzione con termocondizionamento da ristrutturare
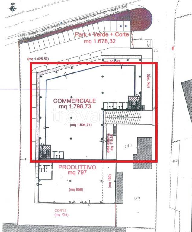
San Bonifacio (VR) - proponiamo in vendita immobile con destinazione d'uso commerciale, fronte Strada Statale a 500 mt dal Casello Autostradale A4. Trattasi di area commerciale posta al piano terra di mq. 1.700 circa con un'altezza interna utile mt. 3,5. Completa di impianti di climatizzazione e riscaldamento e di tutti i servizi adeguati alla superficie. Parcheggi ed area esterna rapportati all'area di vendita. Ottima posizione viabilistica. Per altre informazioni riservate in ufficio. Il contenuto di ogni singolo annuncio viene pubblicato sotto la diretta responsabilità degli interessati. L'agenzia è sollevata da ogni responsabilità civile e penale dei contenuti. I valori e le foto pubblicate degli immobili sono puramente indicativi per non specifica degli esatti comparti o porzioni degli immobili pubblicati. Gli annunci immobiliari pubblicati non costituiscono elemento contrattuale. Foto e planimetrie puramente dimostrative. Mediahold impresa (IRE) è appartenente al gruppo Gesticasa con sede a Lonigo (Vi) in piazza San Marco n.9, fondata nel 1996. Il gruppo “Gesticasa S.r.l.” è un’azienda certificata qualità UNI EN ISO 9001:2000 TUV NORD n. 100000698 del 23.12.2006, per servizio di vendita e locazione immobili residenziali, industriali, commerciali. Nel corso di questi anni ha sviluppato i tradizionali servizi di consulenza dedicati alla casa, estendendo con specifici professionisti le competenze a tutti i settori immobiliari, in particolare gli immobili produttivi. Mediahold impresa (IRE) è in grado di rispondere in modo esaustivo con soluzioni diversificate e personalizzate alla domanda da parte di privati, aziende ed operatori. PER MOTIVI DI PRIVACY L’INDIRIZZO RIPORTATO SULLA MAPPA NON CORRISPONDE ALLA REALE UBICAZIONE DELL’IMMOBILE

