Valutazione immobiliare indipendente, accurata e gratuita
Casa semindipendente in vendita a Villorba a 199.500 € (cod.654cab3b)
Caasa non ha sufficienti informazioni per commentare la casa semindipendente in vendita a Villorba - 654cab3b.
Analisi immobiliare
I dati in posseso di Caasa per quest'immobile sono insufficienti, inaffidabili o contraddittori per proporre un'analisi attendibile.
Mercato immobiliare a Villorba
Per quanto riguarda più in generale la città di Villorba, sono presenti al momento più di 200 annunci per
case semindipendenti in vendita (meno del 5% dell'intera provincia)
e il maggior numero di annunci per questa tipologia sono relativi alla zona di Lancenigo.
La dinamica dei prezzi in tutta la città mostra che negli ultimi 6 mesi, i prezzi per case semindipendenti in vendita sono
in sostanziale calo (-5,92%).
NOVITÀ Il risultato che vedi dipende dai dati che siamo riusciti ad estrarre dall'annuncio: ottieni una stima più accuranta di questo immobile, inserendo dati più precisi.
N.B. L'Opinione di Caasa® è un servizio sperimentale realizzato tramite tecniche di Intelligenza Artificiale, fornito senza alcuna garanzia di correttezza e completezza. Leggi il disclaimer o segnalaci un problema.
IMMAGINI
IN SINTESI
PROPOSTO DA:
asteaffari.com
DESCRIZIONE
di recente ristrutturazione con posto auto con garage con giardino con termocondizionamento da ristrutturare di recente ristrutturazione con riscaldamento autonomo in asta giudiziaria senza ascensore
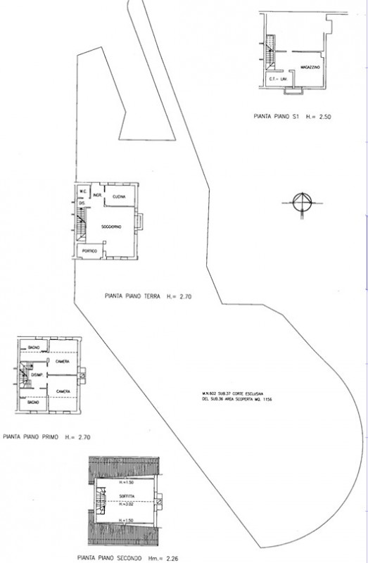
Rif. A.A.646-211 Vendita all'asta - porzione di fabbricato ristrutturato su 4 livelli con giardino in data 03 marzo 2026 Descrizione: trattasi di un fabbricato d'abitazione costituente porzione di testa, divisa terra-cielo, di un antico fabbricato ristrutturato, e facente parte di una recente lottizzazione. Trattasi di un edificio di antica fattura completamente ristrutturato, a due piani fuori terra adibiti ad abitazione più un semipiano sottotetto ed un piano sotto strada seminterrato adibito a locali accessori. L'unità immobiliare, della superficie commerciale complessiva di mq.318, è composta da ingresso, cucina, soggiorno/pranzo e w.c. al piano terra, da disimpegno, n.2 bagni e n.2 camere al primo piano, da un unico vano sottotetto adibito a soffitta, e da un garage doppio al piano seminterrato. Completa la proprietà un ampio giardino. Prezzo minimo base asta : da euro 199.500,00 L'immobile viene venduto tramite asta giudiziaria, ed il prezzo indicato si riferisce al prezzo minimo accettato per la partecipazione all'asta. Aste-Affari fornisce un servizio di assistenza e consulenza tecnica, legale, fiscale e finanziaria su acquisti all'asta e affari immobiliari, al fine di rendere più facile e sicuro l'acquisto di un immobile proveniente dal mercato giudiziario oppure da occasioni presenti sul mercato immobiliare. Analisi di fattibilità, tecnica, burocratica, finanziaria, legale, esame problematiche e vincoli, conteggio costi accessori ed occulti, assistenza in tutte le fasi della procedura fino alla consegna delle chiavi dell'immobile. L'acquisto può essere finanziato tramite mutuo, e, ove possibile anche in pre-asta tramite procedura di saldo-stralcio. Per info aggiuntive, prenotazione visione, consulenza ed assistenza su asta : Studio di Consulenza : "aste-affari.com" info: 04221781118 04221780185 www.aste-affari.com Sei un debitore ? Chiamaci ! Abbiamo soluzioni personalizzate anche per te



