Valutazione immobiliare indipendente, accurata e gratuita
Terreno agricolo in vendita a Paese a 435.000 € (cod.6573e0d3)
Caasa non ha sufficienti informazioni per commentare il terreno agricolo in vendita a Paese - 6573e0d3.
Analisi immobiliare
I dati in posseso di Caasa per quest'immobile sono insufficienti, inaffidabili o contraddittori per proporre un'analisi attendibile.
Mercato immobiliare a Paese
Per quanto riguarda più in generale la città di Paese, sono presenti al momento più di cinquanta annunci per
terreni agricoli in vendita (meno del 5% dell'intera provincia)
e il maggior numero di annunci per questa tipologia sono relativi alla zona di Padernello.
Vedi altre informazioni direttamente su
Mercato-Immobiliare.info
NOVITÀ Il risultato che vedi dipende dai dati che siamo riusciti ad estrarre dall'annuncio: ottieni una stima più accuranta di questo immobile, inserendo dati più precisi.
N.B. L'Opinione di Caasa® è un servizio sperimentale realizzato tramite tecniche di Intelligenza Artificiale, fornito senza alcuna garanzia di correttezza e completezza. Leggi il disclaimer o segnalaci un problema.
IMMAGINI
IN SINTESI
PROPOSTO DA:
IMPRESA S.R.L.
DESCRIZIONE
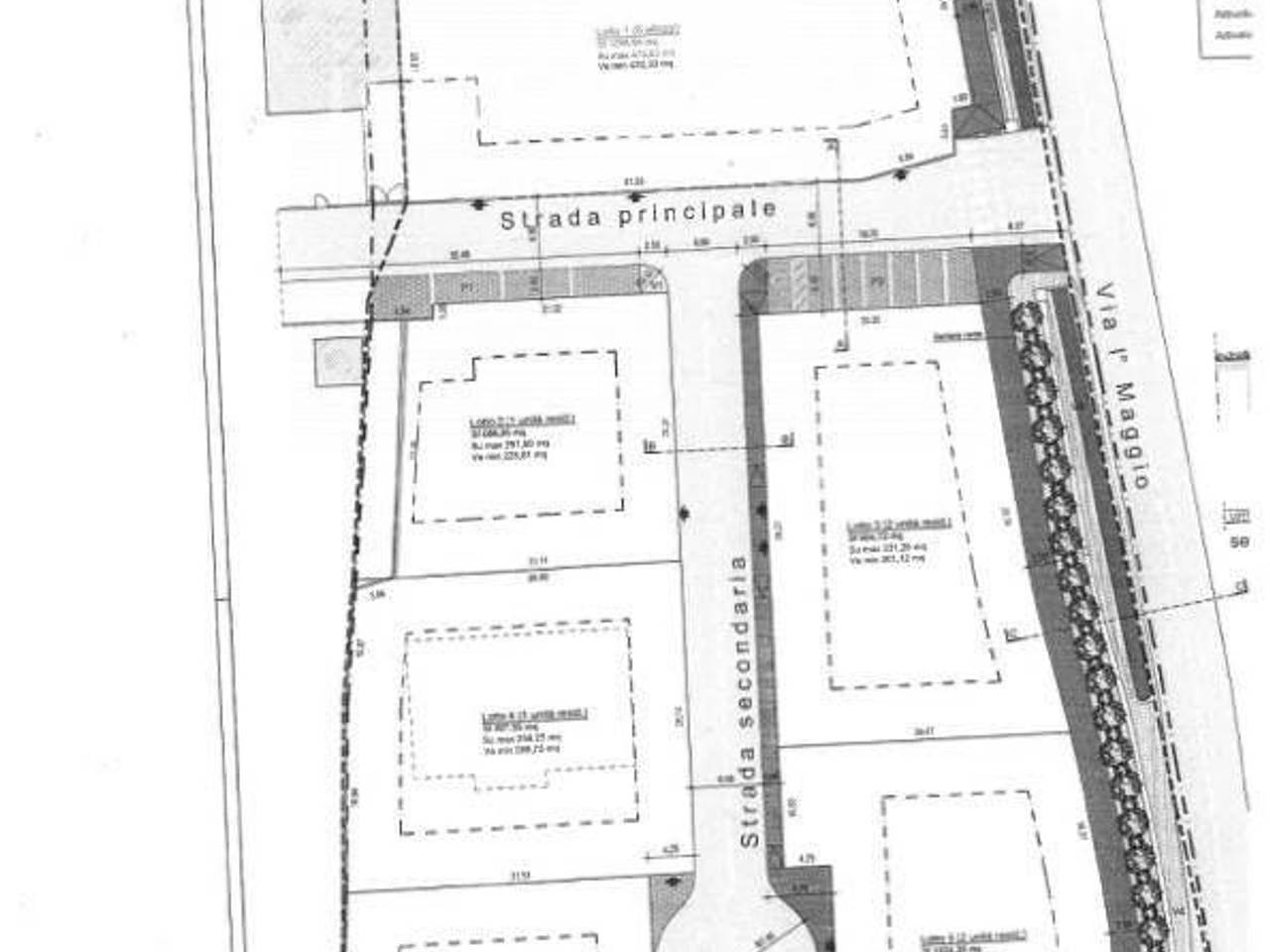
Terreno edificabile in vendita a Paese. La nostra agenzia propone in vendita un'ampia area edificabile residenziale della superficie di circa 7.000 mq oggetto di piano di lottizzazione. La superficie lorda edificabile risulta di circa 1760 mq. Da piano degli interventi del Comune di Paese si potranno realizzare edifici con un'altezza massima di 7,50 ml e tre piani fuori terra. I lotti che si andranno a ricavare saranno ideali per realizzare abbinate di ampio respiro, grandi ville singole, oppure il piccolo condominio con poche unita' abitative. La posizione risulta particolarmente gradevole per tranqullita', vicinanza al centro cittadino e relativi servizi oltre che alla viabilita' principale. Per informazioni, visite o incontri in agenzia relative a questo terreno edificabile residenziale chiamare il N. 0422/454323 con rif. L/LF299 oppure consultate il nostro sito www.impresaimmobiliare.com


