Valutazione immobiliare indipendente, accurata e gratuita
Casa indipendente in vendita a Ponso a 75.000 € (cod.654c7174)
Caasa non ha sufficienti informazioni per commentare la casa indipendente in vendita a Ponso - 654c7174.
Analisi immobiliare
I dati in posseso di Caasa per quest'immobile sono insufficienti, inaffidabili o contraddittori per proporre un'analisi attendibile.
Mercato immobiliare a Ponso
Per quanto riguarda più in generale il comune di Ponso, sono presenti al momento più di trenta annunci per
case indipendenti in vendita (meno dell'1% dell'intera provincia) .
Per quanto riguarda la dinamica dei prezzi, negli ultimi 6 mesi i prezzi medi in tutto il comune per case indipendenti in vendita sono
in forte aumento (+11,15%).
NOVITÀ Il risultato che vedi dipende dai dati che siamo riusciti ad estrarre dall'annuncio: ottieni una stima più accuranta di questo immobile, inserendo dati più precisi.
N.B. L'Opinione di Caasa® è un servizio sperimentale realizzato tramite tecniche di Intelligenza Artificiale, fornito senza alcuna garanzia di correttezza e completezza. Leggi il disclaimer o segnalaci un problema.
IMMAGINI
IN SINTESI
PROPOSTO DA:
Immobiliare Principe Casa
Piazza Maggiore, 20, Este (PD)
Verificata da Caasa®
DESCRIZIONE
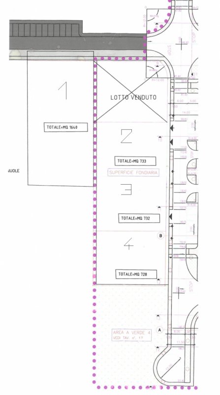
Proponiamo in vendita a Ponso nel quartiere residenziale terreno edificabile ideale per la costruzione di una casa singola o bifamiliare. Possibilità di acquistare una casa singola oppure una porzione di bifamiliare con personalizzazioni a scelta del cliente. Il lotto è ben squadrato, con una metratura di 733 mq. Progetto modificabile per ogni esigenza! Tra i servizi erogati dall'agenzia immobiliare Principe Umberto, ci sono anche le valutazioni, stime, consulenze pratiche di accesso al mutuo e grazie alla collaborazione stretta con studi notarili, geometri e architetti, riusciamo a fornire un servizio completo nell'aspetto pratico e burocratico. ATTENZIONE: si comunica che l'indirizzo riportato nell'annuncio non corrisponde all'esatta collocazione dell'immobile, per informazioni sulla sua precisa localizzazione e per le planimetrie si prega di contattare l'agenzia. Immobiliare Principe Umberto Via Principe Umberto 54/b Este (PD) oppure contattare il numero 0429/50199 - 335/1017033 indirizzo e-mail info@immobiliareprincipeumberto.it Per altri annunci visita il nostro sito www.immobiliareprincipeumberto.com Rif T46


