Valutazione immobiliare indipendente, accurata e gratuita
Casa indipendente in vendita a Cascina in zona Visignano a 445.000 € (cod.657fc5e6)
Caasa non ha sufficienti informazioni per commentare la casa indipendente a Cascina in zona Visignano - 657fc5e6.
Analisi immobiliare
I dati in posseso di Caasa per quest'immobile sono insufficienti, inaffidabili o contraddittori per proporre un'analisi attendibile.
Mercato immobiliare a Cascina
Per quanto riguarda più in generale la città di Cascina, sono presenti al momento ben circa mille annunci per
case indipendenti in vendita (meno del 10% dell'intera provincia)
e il maggior numero di annunci per questa tipologia sono relativi alla zona di Navacchio, mentre la zona di Visignano risulta molto meno attiva considerando il numero di annunci presenti.
La richiesta media nella zona dove sorge la casa indipendente (Visignano) è pari a
2.415 €/m² e ne fa la più pregiata della città .
Possiamo inoltre considerare che in tutta la città negli ultimi 6 mesi, i prezzi per case indipendenti in vendita sono
sostanzialmente stabili (+1,00%).
NOVITÀ Il risultato che vedi dipende dai dati che siamo riusciti ad estrarre dall'annuncio: ottieni una stima più accuranta di questo immobile, inserendo dati più precisi.
N.B. L'Opinione di Caasa® è un servizio sperimentale realizzato tramite tecniche di Intelligenza Artificiale, fornito senza alcuna garanzia di correttezza e completezza. Leggi il disclaimer o segnalaci un problema.
IMMAGINI
IN SINTESI
PROPOSTO DA:
CASA PIU' IMMOBILIARE S.N.C. DI BEATRICE PAGNI E C.
DESCRIZIONE
di nuova costruzione con posto auto con giardino con cantina con garage con terrazza con balcone di nuova costruzione con cucina abitabile senza ascensore
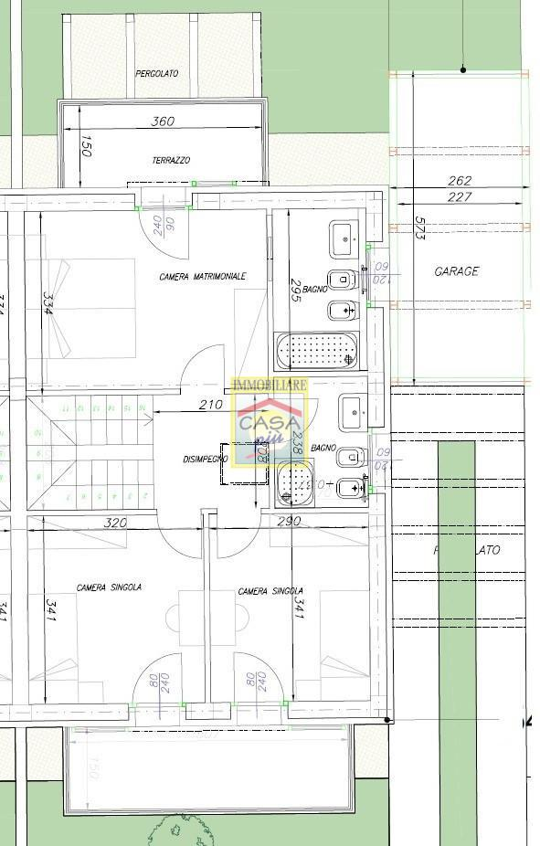
VISIGNANO - Complesso edilizio di nuova realizzazione di circa 20.000 mq composto da 14 villette e 4 appartamenti ad uso residenziale, immersi in due parchi verdi pubblici e attrezzati di circa 6000 mq, oltre ad un nuovo centro commerciale ed una struttura polifunzionale, il tutto servito da nuova viabilità e parcheggi. VILLETTA N. 2/3/6/7/8/9/10/11 - Villetta bifamiliare disposta ai piani terra e primo con annesso garage e giardino privato, composta da ingresso-soggiorno, cucina abitabile con accesso diretto al giardino, ripostiglio/lavanderia, bagno di servizio con antibagno e ripostiglio sottoscala; scala interna che conduce al piano primo dove si trova il reparto notte composto da disimpegno, una camera matrimoniale con bagno privato e terrazzo, due camere singole entrambe con terrazzo, bagno principale con doccia. Annesso un comodo garage con antistante pergolato per ricovero auto. Il fabbricato a fine lavori ricadrà in con certificazione CasaClima (edificio caratterizzato da ottime prestazioni energetiche ottenute nel rispetto dell'ambiente). Rifiniture di pregio a scelta dell'acquirente. Euro 445.000 - Rif. 1607 A tutela della privacy l'indirizzo indicato potrebbe non corrispondere alla reale ubicazione dell'immobile in oggetto, ma trovarsi nelle vicinanze e godere sostanzialmente degli stessi servizi






