Valutazione immobiliare indipendente, accurata e gratuita
Casa indipendente in vendita a Viareggio a 490.000 € (cod.64f738b6)
Caasa non ha sufficienti informazioni per commentare la casa indipendente in vendita a Viareggio - 64f738b6.
	Analisi immobiliare
	
	I dati in posseso di Caasa per quest'immobile sono insufficienti, inaffidabili o contraddittori per proporre un'analisi attendibile.
	
	Mercato immobiliare a Viareggio
	
	Per quanto riguarda più in generale la città di Viareggio, sono presenti al momento ben oltre mille annunci per 
		case indipendenti in vendita (meno del 10% dell'intera provincia) 
	
	 e il maggior numero di annunci per questa tipologia sono relativi alla zona di Centro Storico.
	
	
	
	Possiamo inoltre considerare che in tutta la città negli ultimi 6 mesi, i prezzi per case indipendenti in vendita sono 
		in aumento (+3,71%).
	
	
	
NOVITÀ Il risultato che vedi dipende dai dati che siamo riusciti ad estrarre dall'annuncio: ottieni una stima più accuranta di questo immobile, inserendo dati più precisi.
N.B. L'Opinione di Caasa® è un servizio sperimentale realizzato tramite tecniche di Intelligenza Artificiale, fornito senza alcuna garanzia di correttezza e completezza. Leggi il disclaimer o segnalaci un problema.
IMMAGINI
IN SINTESI
PROPOSTO DA:
ORIS GROUP AGLIANA
DESCRIZIONE
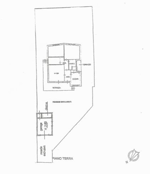
con cantina con giardino con posto auto con garage
Marina di Pietrasanta, Località Tonfano (pressi Forte dei Marmi) Rif.22- Villetta unifamiliare 200 metri ca. dalla spiaggia e dal caratteristico pontile, l'immobile si compone di ingresso, soggiorno, cucina, ripostiglio, due camere matrimoniali, camera singola, bagno e terrazzi. Giardino recintato di 350 mq. ed ulteriore vano indipendente con bagno uso garage. Ottima posizione centrale a pochi metri da ogni servizio e dalla spiaggia con la possibilità di spostarsi comodamente a piedi ed in bicicletta. Vilagi Immobiliare - TEL. 334.23.56.902 - MAIL: vilagiimmobiliare@gmail.com - anno
 
                               
                               
                               
                               
                               
                               
                               
                               
                               
                               
                               
                               
                               
                              
