Valutazione immobiliare indipendente, accurata e gratuita
L'Opinione di Caasa® per l'appartamento in vendita a Capannori a 290.000 € (cod.64a059c0)
Secondo Caasa, per l'appartamento in vendita a Capannori, la richiesta di 290.000 € è significativamente svantaggiosa rispetto agli annunci simili.
Analisi immobiliare
L'appartamento, situato nella zona OMI C1, è proposto in vendita a
290.000 € per una
superficie commerciale di
126 m² e quindi ad un prezzo per metro quadrato pari a
2301 €/m²
.
Questo valore
è significativamente più alto di quello stimato da Caasa per immobili in vendita simili per tipologia e caratteristiche e localizzati nella stessa zona OMI, che è compreso tra
1.842 €/m² e
2.035 €/m².
Grazie alla conoscenza con buona approssimazione della localizzazione dell'immobile, è stato possibile utilizzare come raffronto i dati medi elaborati esattamente nella zona OMI di appertenenza (LUNATA, LAMMARI). Anche se Caasa non è riuscita a determinare la classe energetica, ad affinare la stima hanno contribuito anche lo stato dell'immobile (di recente ristrutturazione) e la presenza di alcune caratteristiche significative come il garage o la disponibilità di una cantina. Per questi motivi l'intervallo dei valori accettabili per l'offerta è relativamente limitato.
Mercato immobiliare a Capannori
Per quanto riguarda più in generale la città di Capannori, sono presenti al momento ben circa mille annunci per
appartamenti in vendita (meno del 10% dell'intera provincia)
e il maggior numero di annunci per questa tipologia sono relativi alla zona di Lunata.
Per quanto riguarda la dinamica dei prezzi, negli ultimi 6 mesi i prezzi medi in tutta la città per appartamenti in vendita sono
in leggero aumento (+2,69%).
NOVITÀ Il risultato che vedi dipende dai dati che siamo riusciti ad estrarre dall'annuncio: ottieni una stima più accuranta di questo immobile, inserendo dati più precisi.
N.B. L'Opinione di Caasa® è un servizio sperimentale realizzato tramite tecniche di Intelligenza Artificiale, fornito senza alcuna garanzia di correttezza e completezza. Leggi il disclaimer o segnalaci un problema.
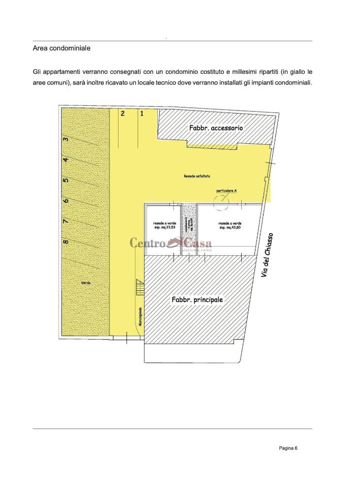
IMMAGINI
IN SINTESI
DESCRIZIONE
di recente ristrutturazione con posto auto con cantina con garage di recente ristrutturazione con terrazza di recente costruzione di nuova costruzione
Appartamento in Vendita a Lucca: Eleganza e Comfort Moderno**A pochi passi dal cuore storico di Lucca, scopri questo spazioso appartamento di circa 125 mq, situato al secondo ed ultimo piano di un esclusivo complesso di sole quattro unità abitative. Completamente ristrutturato, con consegna prevista per fine novembre 2024, offre un ambiente moderno e accogliente. L'ingresso si apre su un disimpegno che conduce a una cucina luminosa con terrazzo, un ampio soggiorno, due camere matrimoniali, uno studio e doppi servizi.Gli infissi in PVC con triplo vetro garantiscono isolamento termico e acustico, mentre la pavimentazione in gres porcellanato effetto legno dona calore e stile agli ambienti. Due posti auto ad uso esclusivo e un'ampia cantina di 13 mq completano l'offerta. La zona comune è accessibile tramite due cancelli carrabili automatici, assicurando sicurezza e praticità. Predisposizione per l'installazione di un sistema di condizionamento dell'aria per il massimo comfort.Con una classe energetica prevista "D" e a radiatori con caldaia a condensazione, l'appartamento combina efficienza energetica e sostenibilità. Non perdere l'opportunità di vivere in una nuova costruzione mai abitata prima, con tutte le comodità moderne e un orientamento che garantisce luce naturale tutto il giorno. Contattaci per ulteriori dettagli e per prenotare una visita!L'INDIRIZZO PUBBLICATO E' INDICATIVO DELLA ZONA IN CUI SI TROVA L'IMMOBILE


