Valutazione immobiliare indipendente, accurata e gratuita
Terreno agricolo in vendita a Marsala a 65.000 € (cod.64f07cfc)
Caasa non ha sufficienti informazioni per commentare il terreno agricolo in vendita a Marsala - 64f07cfc.
Analisi immobiliare
I dati in posseso di Caasa per quest'immobile sono insufficienti, inaffidabili o contraddittori per proporre un'analisi attendibile.
Mercato immobiliare a Marsala
Per quanto riguarda più in generale la città di Marsala, sono presenti al momento più di 300 annunci per
terreni agricoli in vendita (meno di un terzo dell'intera provincia)
e il maggior numero di annunci per questa tipologia sono relativi alla zona di Birgi.
Vedi altre informazioni direttamente su
Mercato-Immobiliare.info
NOVITÀ Il risultato che vedi dipende dai dati che siamo riusciti ad estrarre dall'annuncio: ottieni una stima più accuranta di questo immobile, inserendo dati più precisi.
N.B. L'Opinione di Caasa® è un servizio sperimentale realizzato tramite tecniche di Intelligenza Artificiale, fornito senza alcuna garanzia di correttezza e completezza. Leggi il disclaimer o segnalaci un problema.
IMMAGINI
IN SINTESI
PROPOSTO DA:
SICILCASA IMMOBILIARE SRL UNIPERSONALE
Corso Antonio Gramsci 61, Marsala (TP)
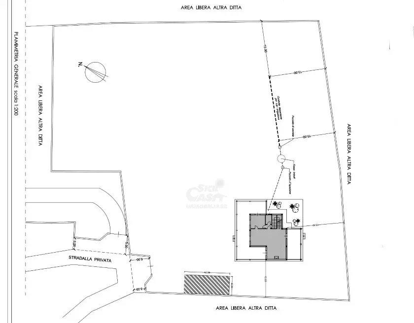
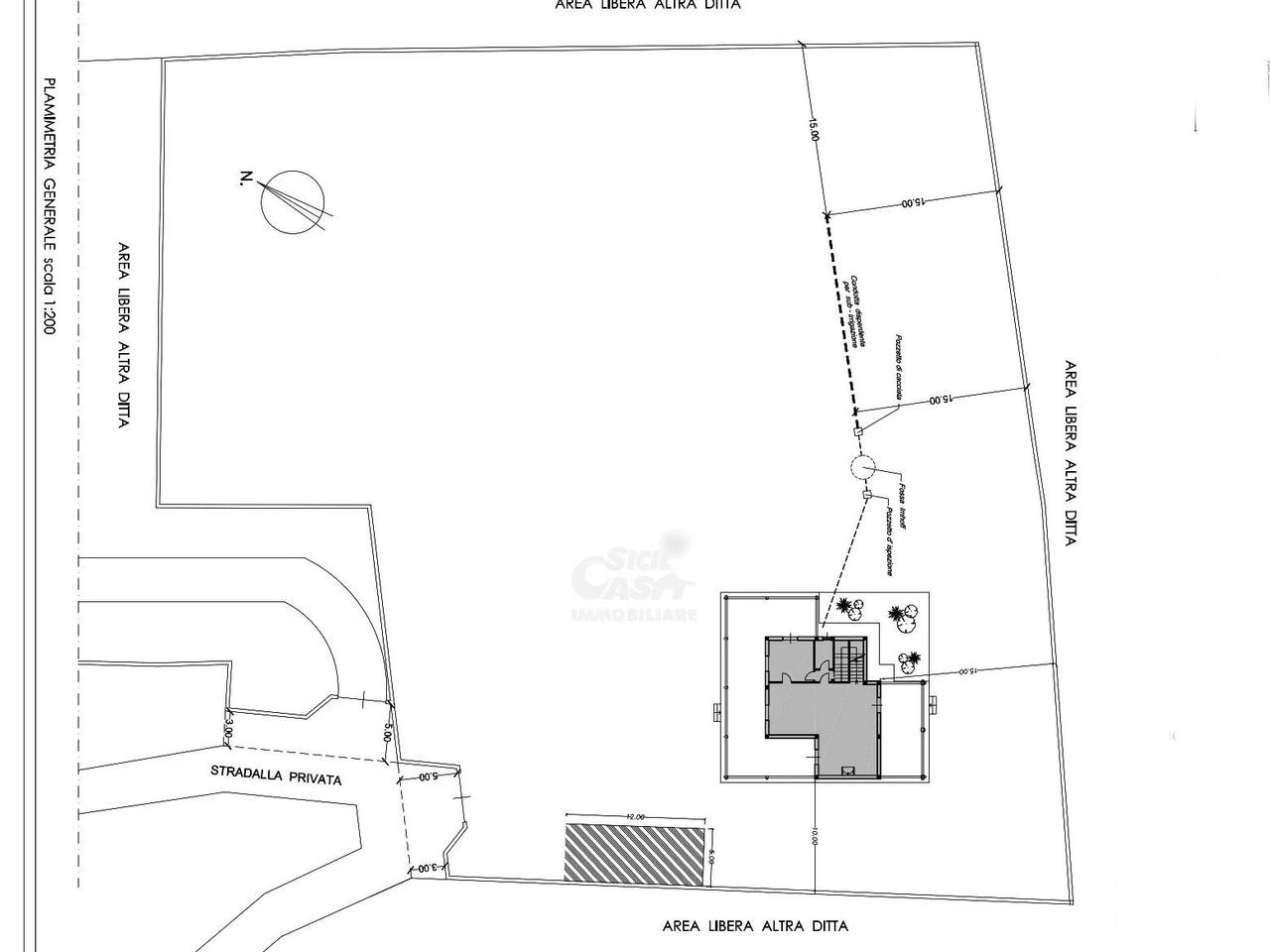
DESCRIZIONE
con giardino con terrazza
Vendita Terreno Edificabile a Marsala (TP) - Contrada Dara** Siamo lieti di presentarvi un'opportunità imperdibile nel versante nord di Marsala, nella splendida e panoramica Contrada Dara. Questo lotto di terreno edificabile, di circa 6.500 mq, offre una vista mozzafiato sullo Stagnone e sulle incantevoli isole Egadi, rendendo ogni momento trascorso qui un'esperienza unica. La posizione strategica del terreno consente di raggiungere facilmente l'Aeroporto e i principali centri urbani, garantendo allo stesso tempo la tranquillità e il contatto con la natura. La bozza di progetto già presente prevede la realizzazione di una villetta di circa 180 mq, oltre a verande, terrazzo scoperto e un piano semi-cantinato. È possibile apportare modifiche progettuali per soddisfare le proprie esigenze e visioni architettoniche. Il prezzo per questo eccezionale lotto è di soli 65.000,00 euro, un investimento interessante per chi desidera costruire la propria casa dei sogni in una delle località più affascinanti della Sicilia. Non perdere questa opportunità: contattaci per ulteriori informazioni o per organizzare una visita al terreno


