Valutazione immobiliare indipendente, accurata e gratuita
Appartamento in vendita a Taormina in zona Trappitello a 75.000 € (cod.63dfc78e)
Caasa non ha sufficienti informazioni per commentare l'appartamento a Taormina in zona Trappitello - 63dfc78e.
Analisi immobiliare
I dati in posseso di Caasa per quest'immobile sono insufficienti, inaffidabili o contraddittori per proporre un'analisi attendibile.
Mercato immobiliare a Taormina
Per quanto riguarda più in generale il comune di Taormina, sono presenti al momento più di 200 annunci per
appartamenti in vendita (meno del 5% dell'intera provincia)
e il maggior numero di annunci per questa tipologia sono relativi proprio alla zona di Trappitello.
La richiesta media nella zona dove sorge l'appartamento (Trappitello) è pari a
1.315 €/m² che la rende la più economica del comune .
Possiamo inoltre considerare che in tutto il comune negli ultimi 6 mesi, i prezzi per appartamenti in vendita sono
in deciso aumento (+9,70%).
NOVITÀ Il risultato che vedi dipende dai dati che siamo riusciti ad estrarre dall'annuncio: ottieni una stima più accuranta di questo immobile, inserendo dati più precisi.
N.B. L'Opinione di Caasa® è un servizio sperimentale realizzato tramite tecniche di Intelligenza Artificiale, fornito senza alcuna garanzia di correttezza e completezza. Leggi il disclaimer o segnalaci un problema.
IMMAGINI
IN SINTESI
PROPOSTO DA:
DOMUS 10 SNC
DESCRIZIONE
da ristrutturare da ristrutturare
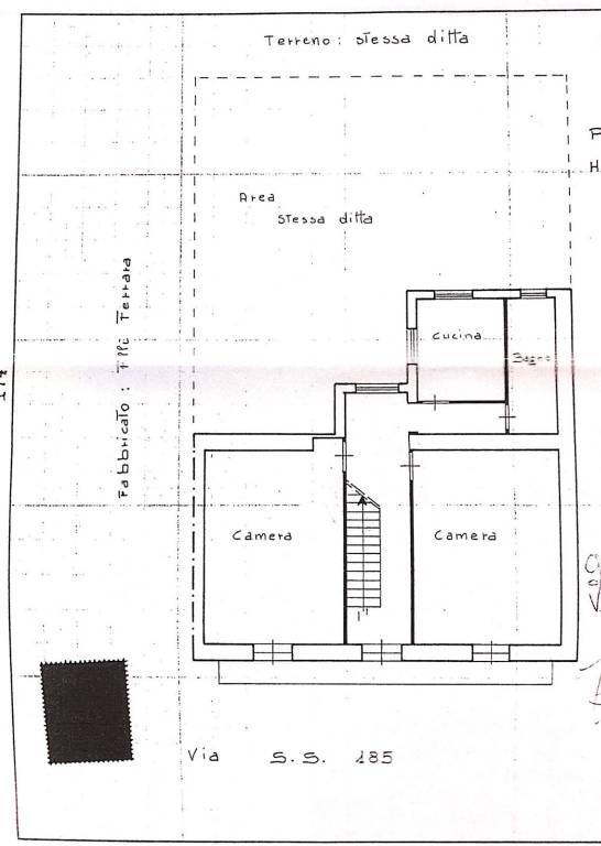
RIFF 0141 LA RE/MAX DOMUS NOVA propone in vendita un APPARTAMENTO PIU' LASTRICO SOLARE A TRAPPITELLO Siamo lieti di presentare in vendita un appartamento situato nella zona di Trappitello, nella prestigiosa località turistica di Taormina. L'immobile di 102 mq. complessivi è posto al primo piano di un edificio di soli due livelli. L'unità immobiliare necessita di lavori di ristrutturazione per essere adattata alle esigenze personali dell'acquirente. Si propone in vendita anche relativo lastrico solare di 98 mq. aumentando così il potenziale dell'immobile e le possibili realizzazioni. Situato in una zona centralissima e residenziale, l'appartamento gode di una posizione ideale vicino a tutti i servizi e le attrazioni del paese. Non esitate a contattarci per ulteriori informazioni e per pianificare una visita. Codice ID MLS: 32311123-14 . RE/MAX DOMUS NOVA contattaci allo 0957167276 o scrivici su whatsapp al 3714124114. Se l'immobile che stai visionando non è ciò che cerchi CONTATTACI comunque. Decine di altre proposte simili e un consulente qualificato sono a tua disposizione. Chiama subito 095/7167276

