N.B. Tutti le informazioni immobiliari sono fornite senza alcuna garanzia. Leggi il disclaimer.
Terreni agricoli con ascensore e con balcone e senza ascensore e con termocondizionamento in vendita a Brugnera
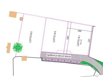
MODIFICA QUESTA RICERCATerreno in vendita a Brugnera(PN PREMIUM
Terreno in vendita a Brugnera(PN
Terreno in vendita a Brugnera(PN
Terreno agricolo in vendita a Brugnera
                                                terreno agricolo
                                                
                                                Terreno agricolo in vendita nel Comune di Brugnera (PN). Vendesi terreno agricolo dalla superficie di circa 8 ettari, condotto a seminativo, costituito da due appazzementi NON contigui (uno di circa 6 ettari e l'altro di circa 2 ettari). L'individuazione riportata nella mappa è solamente indicativa. Le i […]
LEGGI ANCORA
                                            
terreno agricolo in vendita a Brugnera
                                                terreno agricolo
                                                
                                                Terreno agricolo in vendita nel Comune di Brugnera (PN). Vendesi terreno agricolo dalla superficie di circa 8 ettari, condotto a seminativo, costituito da due appazzementi NON contigui (uno di circa 6 ettari e l'altro di circa 2 ettari). L'individuazione riportata nella mappa è solamente indicativa. Le  […]
LEGGI ANCORA
                                            
Terreno Agricolo
                                                terreno agricolo
                                                
                                                Terreno agricolo in vendita nel Comune di Brugnera (PN). Vendesi terreno agricolo dalla superficie di circa 8 ettari, condotto a seminativo, costituito da due appazzementi NON contigui (uno di circa 6 ettari e l'altro di circa 2 ettari). L'individuazione riportata nella mappa è solamente indicativa. Le i […]
LEGGI ANCORA
                                            
Terreno residenziale in vendita a Brugnera viale Europa PREMIUM
vendita Terreno Agricolo Brugnera
Proposto da:
 
                                                    
                                                terreno agricolo 50.000 €
                                                
                                                VENDESI A BRUGNERA TERRENO AGRICOLO con una superficie complessiva di circa un ettaro; nella vendita sono inclusi anche i titoli Pac. PREZZO INTERESSANTE! RIF.: 1100
LEGGI ANCORA
                                            
Terreno agricolo in vendita a Brugnera
Terreno agricolo in vendita a Brugnera
Terreno agricolo in vendita a Brugnera
                                                terreno agricolo 75.000 €
                                                
                                                Proponiamo in vendita terreno agricolo di 9.680 mq con accesso dalla strada e irrigazione. Lotto unico, per ulteriori dettagli chiamateci in agenzia!!! Se volete rimanere sempre aggiornati sulle nostre proposte consultate il nostro sito internet www.morasserviziimmobiliari.it e seguiteci sulla nostra pag […]
LEGGI ANCORA
                                            
Terreno residenziale in vendita a Brugnera
Proposto da:
 
                                                    
                                                terreno agricolo 75.000 €
                                                
                                                Brugnera, terreno di 3110 mq, di cui 1800 mq edificabili (1040mc) e 1810 agricoli, ideale per villa singola, oppure bi/trifamiliare
LEGGI ANCORA
                                            
Terreno in vendita a Brugnera(PN PREMIUM
Terreno edificabile in vendita a Brugnera
                                                terreno agricolo 385.000 €
                                                
                                                In ottima posizione ben servita, fronte strada, proponiamo in vendita terreno edificabile di 11000 mq zona B3 di completamento estensiva, indice di edificabilità 0,8. Per ulteriori dettagli chiamateci in agenzia!!! Se volete rimanere sempre aggiornati sulle nostre proposte consultate il nostro sito inter […]
LEGGI ANCORA
                                            
Terreno in vendita a Brugnera(PN
Terreno edificabile in vendita a Brugnera
                                                terreno agricolo 79.500 €
                                                
                                                Lotto edificabile e fabbricato rustico in vendita a Brugnera. Proponiamo in vendita lotto edificabile e fabbricato rustico a Brugnera. L'area caratterizzata da prevalenza di zona agricola con costruzioni abitative vicino, ottimo per tutti coloro che cercano di costruire la loro casa dei sogni lontano dal […]
LEGGI ANCORA
                                            
Terreno edificabile in vendita a Brugnera
                                                terreno agricolo 205.000 €
                                                
                                                A San Cassiano di Brugnera a 2 minuti dal parco di Villavarda, in zona residenziale vendiamo terreno fronte strada di 9500 mq parzialmente edificabile (4200 mq) zona B3 di completamento estensiva, indice di edificabilità 0,8. Per ulteriori dettagli chiamateci in agenzia!!! Se volete rimanere sempre aggio […]
LEGGI ANCORA
                                            
Terreno residenziale in vendita a Maron, Brugnera
                                                terreno agricolo Maron 290.000 €
                                                
                                                Brugnera - Centro Maron Disponiamo di un terreno edificabile di 2.560 mq con piano particolareggiato intensivo già approvato per la costruzione di 2 Edifici con 7.000 mc edificabili. Zona centralissima e servita, Terreno pianeggiante e con posti auto pubblici. Per visionare il terreno è possibile fissare […]
LEGGI ANCORA
                                            
Terreno residenziale in vendita a Brugnera viale Europa PREMIUM
Terreno agricolo in vendita a Brugnera via Camol s.n.c
                                                terreno agricolo 185.000 €
                                                
                                                BRUGNERA centrale zona residenziale vendesi regolare lotto terreno edificabile/agricolo di cui 4100 mq. edificabili in zona residenziale B3, il restante 2010 mq. agricolo in zona E4, con ampio fronte strada, e con tutti i servizi primari disponibili, ottima posizione e ben servita, vicino al centro. Idea […]
LEGGI ANCORA
                                            
Terreno Agricolo in vendita a Brugnera
                                                terreno agricolo
                                                
                                                Terreno agricolo in vendita nel Comune di Brugnera (PN). Vendesi terreno agricolo dalla superficie di circa 8 ettari, condotto a seminativo, costituito da due appazzementi NON contigui (uno di circa 6 ettari e l'altro di circa 2 ettari). L'individuazione riportata nella mappa solamente indicativa. Le inf […]
LEGGI ANCORA
                                            
Terreno in vendita a Brugnera(PN
Non perdere gli altri 6 annunci!
 
                                     
                                                 
                                                        
 
                                             
                                            
 
                                            
 
                                            
 
                                                 
                                            



 
                                            
 
                                             
                                             
                                             
                                             
                                             
                                            

 
                                             
                                             
                                             
                                            