Valutazione immobiliare indipendente, accurata e gratuita
Terreno edificabile in vendita a Pinerolo a 190.000 € (cod.6517e17a)
Caasa non ha sufficienti informazioni per commentare il terreno edificabile in vendita a Pinerolo - 6517e17a.
Analisi immobiliare
I dati in posseso di Caasa per quest'immobile sono insufficienti, inaffidabili o contraddittori per proporre un'analisi attendibile.
Mercato immobiliare a Pinerolo
Per quanto riguarda più in generale la città di Pinerolo, sono presenti al momento più di cinquanta annunci per
terreni edificabili in vendita (meno del 5% dell'intera provincia)
e il maggior numero di annunci per questa tipologia sono relativi alla zona di Baudenasca.
Vedi altre informazioni direttamente su
Mercato-Immobiliare.info
NOVITÀ Il risultato che vedi dipende dai dati che siamo riusciti ad estrarre dall'annuncio: ottieni una stima più accuranta di questo immobile, inserendo dati più precisi.
N.B. L'Opinione di Caasa® è un servizio sperimentale realizzato tramite tecniche di Intelligenza Artificiale, fornito senza alcuna garanzia di correttezza e completezza. Leggi il disclaimer o segnalaci un problema.
IMMAGINI
IN SINTESI
DESCRIZIONE
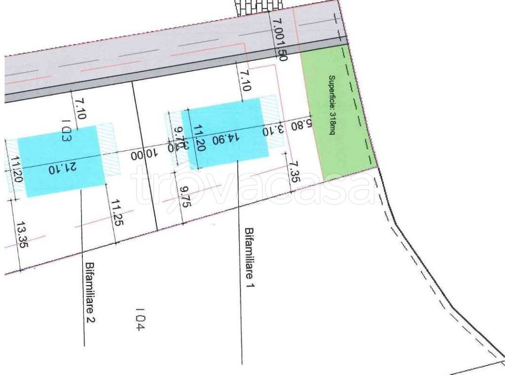
Si propone in vendita un terreno edificabile di 2.420 mq situato nel comune di Pinerolo, in via Sabotino, in una zona residenziale con vista aperta. La proprietà gode di una posizione strategica, essendo comoda ai servizi quali reti autostradali, ospedali e servizi in generale. Il prezzo di vendita è di 190.000 EUR, rendendo questa un'ottima opportunità di investimento nel settore immobiliare. Il terreno edificabile ha la possibilità di sviluppare progetti abitativi già abozzati con elevata efficienza energetica. Il lotto offre la possibilità di realizzare soluzioni abitative quali ville bifamiliari oppure una palazzina plurifamiliare per una superficie complessiva di 895,40 mq su un lotto di 2.420 mq. La sua posizione in una zona residenziale tranquilla e ben servita, unita al prezzo competitivo e alle dimensioni generose del lotto, lo rendono un'opportunità da non perdere per chiunque sia interessato a investire nel mercato immobiliare di Pinerolo. Contattateci per ulteriori informazioni e per pianificare una visita sul posto


