Valutazione immobiliare indipendente, accurata e gratuita
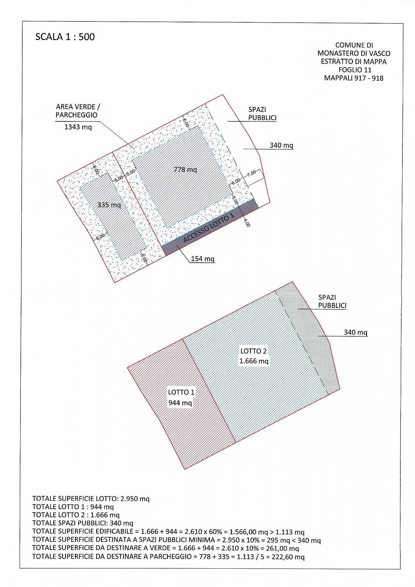
Terreno edificabile a Monastero di Vasco in zona Roapiana (cod.64ef3894)
Caasa non ha sufficienti informazioni per commentare il terreno edificabile a Monastero di Vasco Roapiana - 64ef3894.
Analisi immobiliare
I dati in posseso di Caasa per quest'immobile sono insufficienti, inaffidabili o contraddittori per proporre un'analisi attendibile.
Mercato immobiliare a Monastero di Vasco
Per quanto riguarda più in generale il comune di Monastero di Vasco, sono presenti al momento meno di dieci annunci per
terreni edificabili in vendita (meno dell'1% dell'intera provincia)
e il maggior numero di annunci per questa tipologia sono relativi proprio alla zona di Roapiana.
Vedi altre informazioni direttamente su
Mercato-Immobiliare.info
NOVITÀ Il risultato che vedi dipende dai dati che siamo riusciti ad estrarre dall'annuncio: ottieni una stima più accuranta di questo immobile, inserendo dati più precisi.
N.B. L'Opinione di Caasa® è un servizio sperimentale realizzato tramite tecniche di Intelligenza Artificiale, fornito senza alcuna garanzia di correttezza e completezza. Leggi il disclaimer o segnalaci un problema.
IMMAGINI
IN SINTESI
PROPOSTO DA:
IMMOBILIARE CAMPERI SAS DI CAMPERI GEOM. ARMANDO & C
