Valutazione immobiliare indipendente, accurata e gratuita
Appartamento in vendita ad Ovada a 210.000 € (cod.658a7710)
Caasa non ha sufficienti informazioni per commentare l'appartamento in vendita ad Ovada - 658a7710.
Analisi immobiliare
I dati in posseso di Caasa per quest'immobile sono insufficienti, inaffidabili o contraddittori per proporre un'analisi attendibile.
Mercato immobiliare ad Ovada
Per quanto riguarda più in generale il comune di Ovada, sono presenti al momento più di 300 annunci per
appartamenti in vendita (meno del 5% dell'intera provincia)
e il maggior numero di annunci per questa tipologia sono relativi alla zona di Costa.
Per quanto riguarda la dinamica dei prezzi, negli ultimi 6 mesi i prezzi medi in tutto il comune per appartamenti in vendita sono
in calo (-4,70%).
NOVITÀ Il risultato che vedi dipende dai dati che siamo riusciti ad estrarre dall'annuncio: ottieni una stima più accuranta di questo immobile, inserendo dati più precisi.
N.B. L'Opinione di Caasa® è un servizio sperimentale realizzato tramite tecniche di Intelligenza Artificiale, fornito senza alcuna garanzia di correttezza e completezza. Leggi il disclaimer o segnalaci un problema.
IMMAGINI
IN SINTESI
PROPOSTO DA:
Bc Consulting
DESCRIZIONE
di recente costruzione con cantina con termocondizionamento di recente costruzione in asta giudiziaria
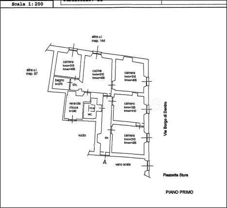
Alloggio al piano primo di un più ampio fabbricato di natura condominiale oltre un ampio locale cantina situato al piano sottostrada. L’alloggio è composto da 4 camere, 1 cucina, n. 2 bagni ed un locale di sgombero. L’appartamento ha una superfice di […]
