N.B. Tutti le informazioni immobiliari sono fornite senza alcuna garanzia. Leggi il disclaimer.
Terreni agricoli o terreni edificabili con giardino, di recente costruzione in vendita a Pianella
MODIFICA QUESTA RICERCATerreno agricolo in vendita a Pianella PREMIUM
Terreno agricolo in vendita a Pianella
terreno agricolo Cerratina 55.000 €
In una delle zone più tranquille e panoramiche di Pianella, proponiamo in vendita un ampio terreno agricolo di 2 ettari (20.000 mq), ideale per chi sogna di avviare un’attività agricola, coltivare in autonomia o semplicemente investire nel verde. Posizione strategica: il terreno si trova nella zona Cerra […]
LEGGI ANCORA
Terreno agricolo in vendita a Pianella
terreno agricolo 28.000 €
Pianella, in via Vicenne, proponiamo in vendita terreno agricolo di circa 10.000 mq pianeggiante con 100 piante di ulivo. Prezzo di vendita richiesto € 28.000,00. Se stai pensando di vendere il tuo immobile, contattaci al n. 085 75 687 per una consulenza senza impegno. Saremo lieti di fornire una valutaz […]
LEGGI ANCORA
Terreno agricolo ed edificabile
terreno agricolo 160.000 €
Da Privato. A Pianella vendesi 9000 metri di terreno tra edificabile e agricolo . Per informazioni 3297724369
LEGGI ANCORA
terreno agricolo in vendita a Pianella
esavano in vendita a Pianella
terreno agricolo 155.000 €
Pianella, contrada Vicenne Nelle tranquille e silenziose campagne di Pianella, vendesi villa indipendente da rifinire su più livelli. L'immobile circondato da un ampio giardino di 2500 mq e un altrettanto ampio appezzamento di terreno agricolo (9500mq) con piante da frutto, piante di ulivo e soprattutto […]
LEGGI ANCORA
- prezzo medio casa indipendente in zona OMI R1 : 919 €/m²
- prezzo medio appartamento in zona OMI R1 : 1119 €/m²
Terreno edificabile commerciale in vendita a Pianella PREMIUM
terreno agricolo in vendita a Pianella
terreno agricolo
Pianella contrada Granaro vendesi terreno agricolo di circa 6000mq, con piante di ulivo, acqua irrigua. Strada ( ultimo tratto strad sterrata) con accesso drietto al fondo. Prezzo euro 9000 Possibilita' di costruire un manufatto agricolo ( magazzino, non si puo' costruire un' abitazione ). APE esente i […]
LEGGI ANCORA
Terreno agricolo in vendita a Pianella via Nora s.n.c
Terreno edificabile commerciale in vendita a Pianella
terreno edificabile Cerratina 65.000 €
Cerratina di Pianella, Via Saline, terreno edificabile di 1770mq; Lotto di terreno edificabile in zona pianeggiante facente parte del sub comprensorio C2/C con volume residenziale di 1803mc e altezza max di 7,50ml; La sua posizione è ideale per chi desidera costruire la propria abitazione in zona residen […]
LEGGI ANCORA
Terreno in vendita a Pianella(PE
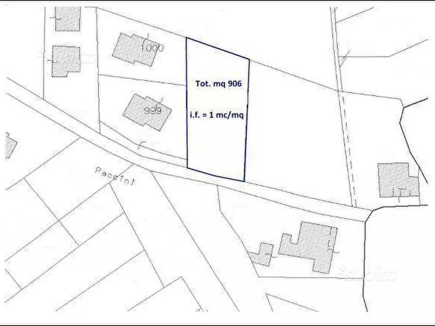
Terreno edificabile in vendita in Via Boreale a Pianella
terreno edificabile Cerratina 30.000 €
Vendo terreno edificabile a Cerratina di Pianella (PE) via Boreale. Il terreno ha una superficie di metri quadrati 906 in Zona B2 di Completamento (indice di fabbricabilita' 1,00). Ottima soluzione per realizzare villino singolo. Sulla strada comunale via Boreale è presente la linea dell'acqua potabile, […]
LEGGI ANCORA
Terreno edificabile in Vendita a Pianella
terreno edificabile 325.000 €
Terreno pianeggiante edificabile zona B02 di metri quadri 5000 vendibile a corpo oppure per singoli lotti di circa metri quadri 1000 cadauno. Ã stato realizzato un progetto per la realizzazione di numero sette abitazioni residenziali. Per informazioni rivolgersi all?agenzia
LEGGI ANCORA
Unico Terreno Edificabile con affaccio su strada principale
terreno edificabile 150.000 €
Da Privato. L'area edificabile è costituita dalle particelle catastali 653 ed 836 del foglio 11 che vengono vendute abbinate. L'area affaccia su Via Aldo Moro, ha il numero civico 47 (è adiacente alla macelleria "Sapori D'Abruzzo") ed è attualmente coltivata come uliveto. Come indicato nell'estratto del […]
LEGGI ANCORA
Terreno edificabile residenziale in vendita a Pianella
terreno edificabile 30.000 €
Lotto di Terreno edificabile a Pianella totalmente pianeggiante e panoramico in zona di completamento B2 dove è possibile realizzare una villetta singola su unico livello di circa 100 mq. oltre accessori. Disponibilità di altro terreno agricolo ad Uliveto per chi fosse interessato. Il terreno si trova a […]
LEGGI ANCORA
terreno residenziale in vendita a Pianella
terreno edificabile 60.000 €
VENDESI TERRENO EDIFICABILE A PIANELLA, in zona servita a poca distanza dal centro, zona residenziale con buona esposizione panoramica. Terreno di circa 4000 mq. con indice di edificabilità dello 1,00%. Zona B2 Residenziale di completamento
LEGGI ANCORA
villa in vendita a Pianella
Proposto da:
terreno agricolo 230.000 €
VILLETTA BIFAMIGLIARE IN VENDITA A PIANELLA ZONA S. Martino, zona residenziale e tranquilla. Villa bifamigliare di circa 210 mq commerciali su 2 livelli con ampio giardino, sviluppato in questo modo, il piano terra con ingresso dal portico con accesso dal giardino, cucina, tinello, ampia taverna con volt […]
LEGGI ANCORA
- prezzo medio casa indipendente a Pianella : 956 €/m²
- prezzo medio villa a Pianella : 969 €/m²
Terreno agricolo in vendita a Pianella PREMIUM
Terreno edificabile in Vendita a Pianella
terreno edificabile Cerratina
Terreno Edificabile in Cerratina di Pianella Pianella. Terreno edificabile in Cerratina di Pianella.\n\nZona riservata ma vicina al centro del paese.\n\nIndice di Utilizzazione Territoriale= 0.40 mq/mq.\n\nLotto minimo per l'edificazione= mq. 650.\n\nAltezza massima realizzabile= mt. 10,50.\n\nPresenza d […]
LEGGI ANCORA
terreno agricolo in vendita a Pianella
- prezzo medio casa indipendente in zona OMI R1 : 919 €/m²
- prezzo medio casa semindipendente in zona OMI R1 : 981 €/m²
terreno edificabile in vendita a Pianella
Non perdere gli altri 24 annunci!














