Valutazione immobiliare indipendente, accurata e gratuita
Villa in vendita a Mercatino Conca a 110.000 € (cod.64415c04)
Caasa non ha sufficienti informazioni per commentare la villa in vendita a Mercatino Conca - 64415c04.
Analisi immobiliare
I dati in posseso di Caasa per quest'immobile sono insufficienti, inaffidabili o contraddittori per proporre un'analisi attendibile.
Mercato immobiliare a Mercatino Conca
Per quanto riguarda più in generale il comune di Mercatino Conca, sono presenti al momento meno di dieci annunci per
ville in vendita (meno dell'1% dell'intera provincia) .
Vedi altre informazioni direttamente su
Mercato-Immobiliare.info
NOVITÀ Il risultato che vedi dipende dai dati che siamo riusciti ad estrarre dall'annuncio: ottieni una stima più accuranta di questo immobile, inserendo dati più precisi.
N.B. L'Opinione di Caasa® è un servizio sperimentale realizzato tramite tecniche di Intelligenza Artificiale, fornito senza alcuna garanzia di correttezza e completezza. Leggi il disclaimer o segnalaci un problema.
IMMAGINI
IN SINTESI
PROPOSTO DA:
Coldwell Banker Prime Properties
DESCRIZIONE
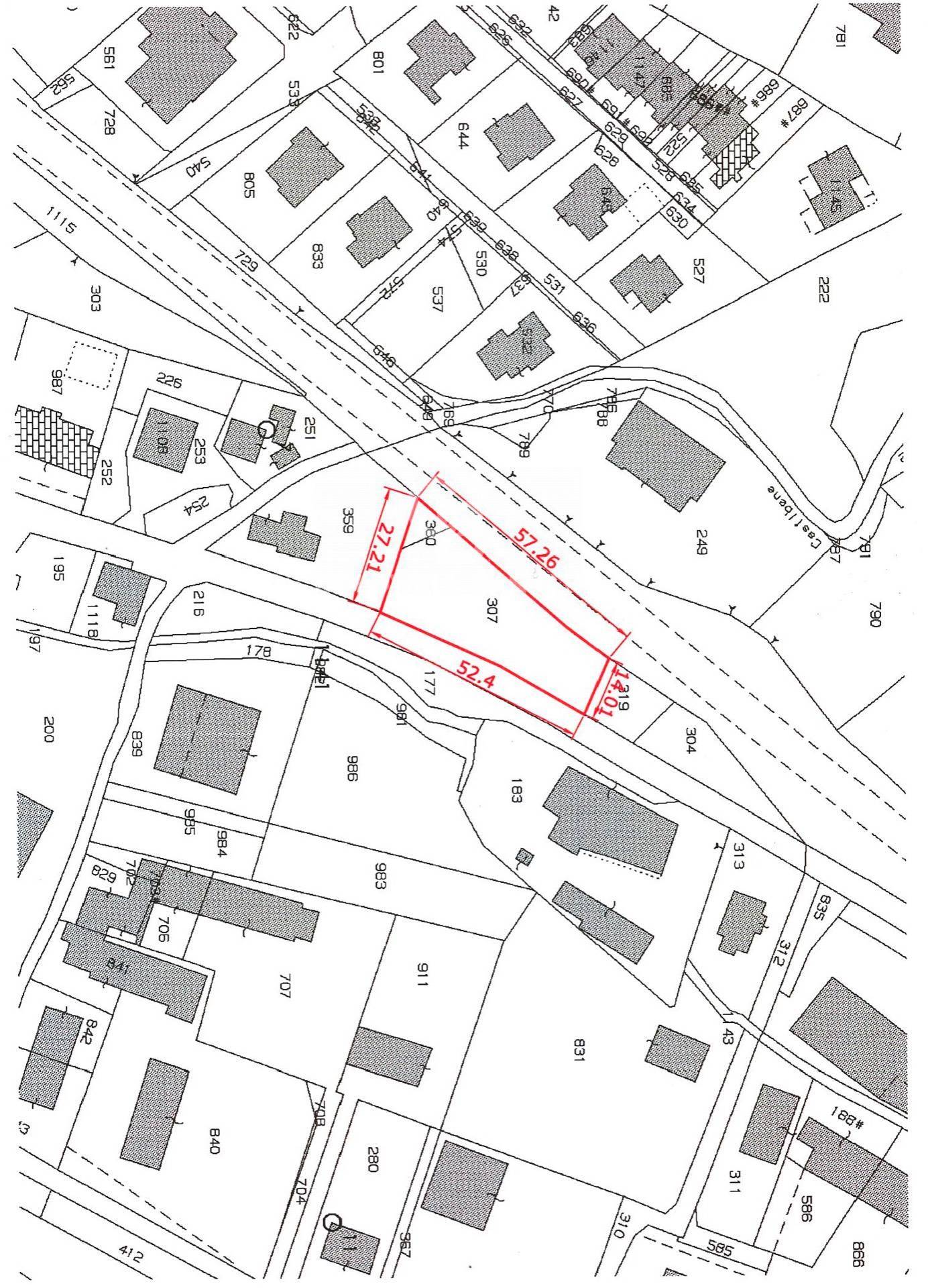
TERRENO EDIFICABILE IN VENDITA A MERCATINO CONCA Via Roma. Nelle immediate vicinanze del centro storico, in zona residenziale ben servita e facilmente raggiungibili con mezzi privati e pubblici, proponiamo in Vendita Terreno Edificabile con superficie catastale di 1060 mq con indice di edificabilit dello 0,50, ideale per la costruzione di villa indipendente, casa a schiera, palazzina di massimo 4 unit immobiliari. Il terreno posizionato in zona urbanizzata, a pochi minuti dal centro del paese; destinazione urbanistica nel PRG: zona B1.3 residenziale di completamento. Destinazioni duso ammesse: residenze, pubblici esercizi, uffici, commercio allingrosso e al dettaglio, studi professionali, agenzie varie, artigianato di servizio e di produzione compatibile con la residenza, alberghi e strutture ricettive. La nostra agenzia a disposizione per ogni ulteriore informazione - SC9356299

