Valutazione immobiliare indipendente, accurata e gratuita
Loft in vendita a Jesi a 160.000 € (cod.657e8db4)
Caasa non ha sufficienti informazioni per commentare il loft in vendita a Jesi - 657e8db4.
Analisi immobiliare
I dati in posseso di Caasa per quest'immobile sono insufficienti, inaffidabili o contraddittori per proporre un'analisi attendibile.
Mercato immobiliare a Jesi
Per quanto riguarda più in generale la città di Jesi, sono presenti al momento più di trenta annunci per
loft in vendita (meno del 10% dell'intera provincia)
e il maggior numero di annunci per questa tipologia sono relativi alla zona di Tabano.
Per quanto riguarda la dinamica dei prezzi, negli ultimi 6 mesi i prezzi medi in tutta la città per loft in vendita sono
in sostanziale aumento (+6,89%).
NOVITÀ Il risultato che vedi dipende dai dati che siamo riusciti ad estrarre dall'annuncio: ottieni una stima più accuranta di questo immobile, inserendo dati più precisi.
N.B. L'Opinione di Caasa® è un servizio sperimentale realizzato tramite tecniche di Intelligenza Artificiale, fornito senza alcuna garanzia di correttezza e completezza. Leggi il disclaimer o segnalaci un problema.
IMMAGINI
IN SINTESI
PROPOSTO DA:
PRIMA SERVIZI IMMOBILIARI
DESCRIZIONE
con termocondizionamento con riscaldamento autonomo
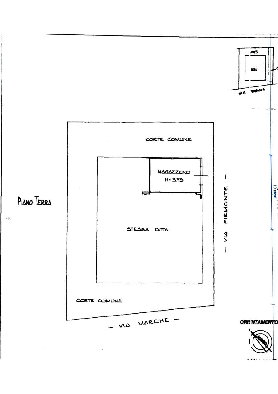
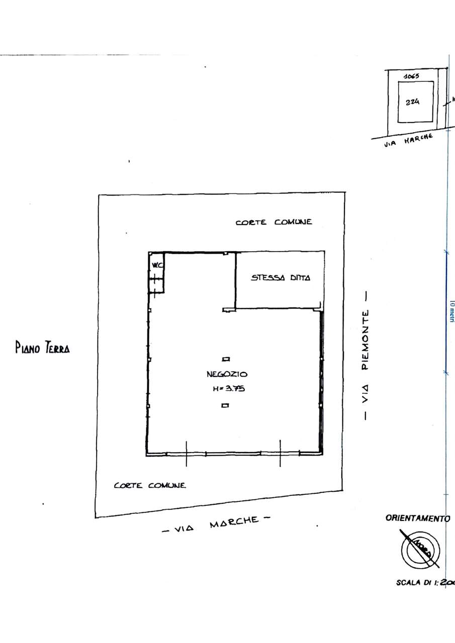
Rif. 437SC Jesi Via Marche 3 | Immobile commerciale in posizione strategica e ad alta visibilità Proponiamo in vendita a Jesi, in Via Marche 3, un edificio commerciale situato in una zona caratterizzata da intenso passaggio veicolare e pedonale, inse […]
