Valutazione immobiliare indipendente, accurata e gratuita
Appartamento in vendita a Chiaravalle a 120.000 € (cod.65681407)
Caasa non ha sufficienti informazioni per commentare l'appartamento in vendita a Chiaravalle - 65681407.
Analisi immobiliare
I dati in posseso di Caasa per quest'immobile sono insufficienti, inaffidabili o contraddittori per proporre un'analisi attendibile.
Mercato immobiliare a Chiaravalle
Per quanto riguarda più in generale il comune di Chiaravalle, sono presenti al momento più di cento annunci per
appartamenti in vendita (meno del 5% dell'intera provincia) .
La dinamica dei prezzi in tutto il comune mostra che negli ultimi 6 mesi, i prezzi per appartamenti in vendita sono
in sostanziale aumento (+5,54%).
NOVITÀ Il risultato che vedi dipende dai dati che siamo riusciti ad estrarre dall'annuncio: ottieni una stima più accuranta di questo immobile, inserendo dati più precisi.
N.B. L'Opinione di Caasa® è un servizio sperimentale realizzato tramite tecniche di Intelligenza Artificiale, fornito senza alcuna garanzia di correttezza e completezza. Leggi il disclaimer o segnalaci un problema.
IMMAGINI
IN SINTESI
PROPOSTO DA:
Chiaravalle - Tempocasa
DESCRIZIONE
di recente ristrutturazione con terrazza con termocondizionamento di recente ristrutturazione
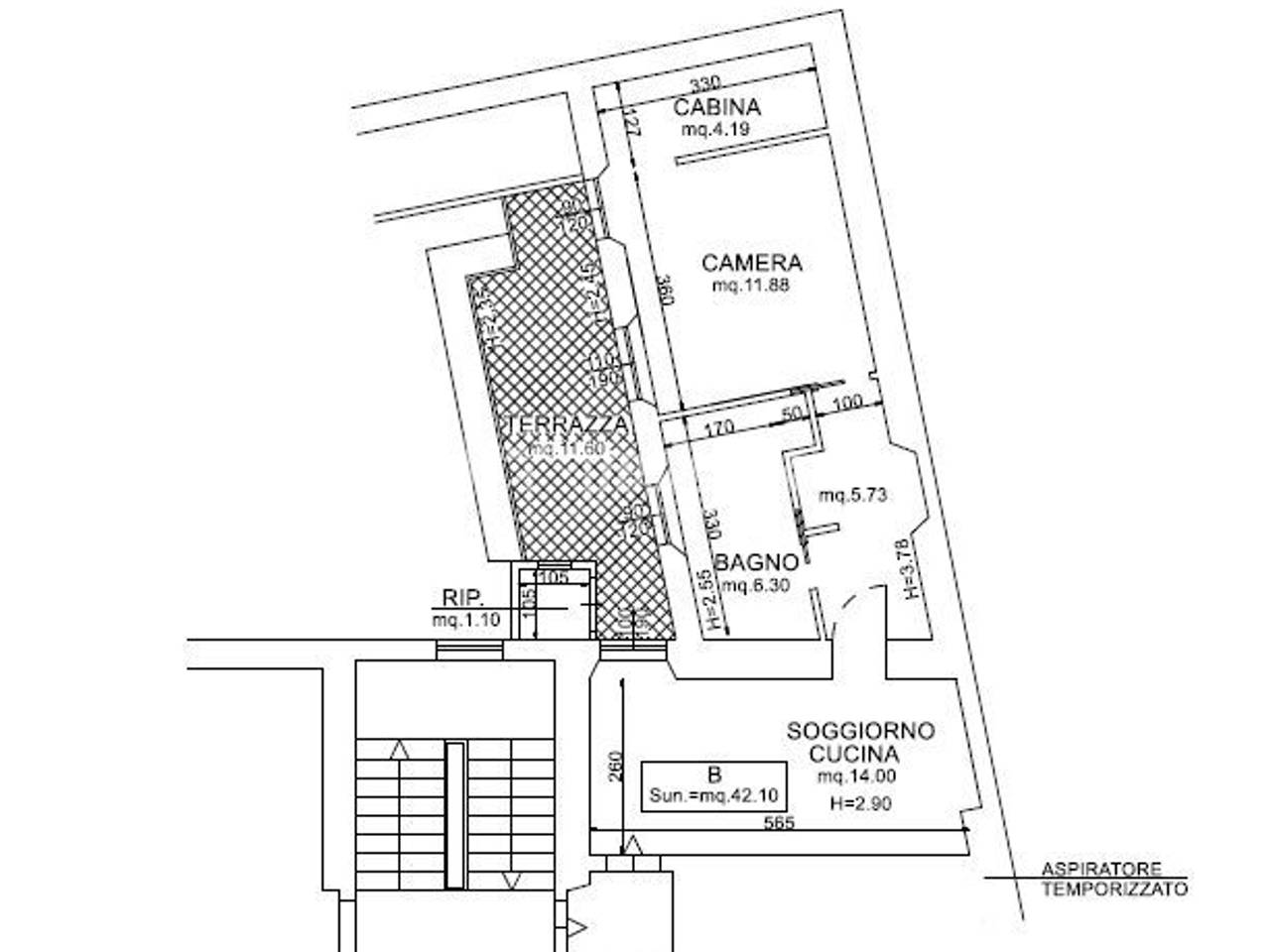
Rif: KC05 - NUOVO DA RISTRUTTURAZIONE: APPARTAMENTO CON TERRAZZO NEL CUORE DI CHIARAVALLE SERVIZIO ESCLUSIVO DI TEMPOCASA! PER INFORMAZIONI CONTATTARE TEMPOCASA CHIARAVALLE AL NUMERO +39 379 259 7291 ZONA Tempocasa Chiaravalle propone in vendita esclusiva, in pieno centro a Chiaravalle, direttamente sul Corso Giacomo Matteotti un appartamento IN FASE DI COMPLETA RISTRUTTURAZIONE, ideale per chi desidera vivere nel cuore della città senza rinunciare a comfort moderni e spazi ben organizzati. COMPOSIZIONE La soluzione si distingue per una distribuzione funzionale e razionale degli ambienti. La zona giorno open-space con soggiorno e cucina, di 16,5 m², è luminosa e accogliente, perfetta sia per la vita quotidiana che per momenti conviviali. La zona notte ospita una camera matrimoniale di 13,5 m², arricchita da una comoda cabina armadio di 4,5 m², pensata per garantire ordine e praticità. Completano l’immobile un disimpegno di 5,75 m² e un bagno di 6,5 m², progettato con finiture moderne e linee contemporanee. Elemento di grande valore è il terrazzo vivibile di 11,6 m², un vero plus in una posizione così centrale. L’appartamento verrà consegnato COMPLETAMENTE RISTRUTTURATO, con particolare attenzione alla qualità dei materiali, al comfort abitativo e all’efficienza degli impianti. Soluzione ideale come abitazione principale, ma anche come investimento grazie alla posizione strategica. CAPITOLATO - Infissi in PVC con doppio vetro - Riscaldamento e raffrescamento tramite pompa di calore - Caldai a Condensazione - Impianti completamente nuovi - Pavimentazione PRIMEWOOD in gres porcellanato effetto legno PERCHE ACQUISTARE QUESTO IMMOBILE - Posizione centrale - RISTRUTTURAZIONE COMPLETA - Ottimo anche come uso investimento



