N.B. Tutti le informazioni immobiliari sono fornite senza alcuna garanzia. Leggi il disclaimer.
Capannone industriale in vendita a San Severino Marche PREMIUM
- prezzo medio appartamento in zona OMI B4 : 1156 €/m²
- prezzo medio locale commerciale in zona OMI B4 : 709 €/m²
Capannone industriale in vendita a San Severino Marche via Ferrante Ferranti, 27
capannone Taccoli 990.000 €
Nella comoda zona industriale in Loc. Taccoli del comune di San Severino Marche, a due passi dalle principali vie di collegamento stradale, proponiamo in vendita una struttura formata da un grande capannone industriale e tre appartamenti ad uso residenziale. La struttura ha una zona esterna con aree verd […]
LEGGI ANCORA
Vendita Capannone industriale, SAN SEVERINO MARCHE
capannone 1.100.000 €
Capannone con destinazione produttiva, cosi composto: - zona uffici su 2 livelli piano Terra e Primo, di ca 96 mq per piano - zona produttiva di ca 2200 mq, altezza 5 mt - zona magazzino di ca 900 mq, altezza 6,2 mt - corte circostante di ca 5000 mq cabina elettrica e altri locali tecnici Ape in corso di […]
LEGGI ANCORA
Capannone industriale in vendita a San Severino Marche
capannone 330.000 €
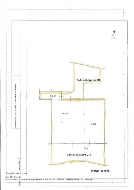
Fabbricato ad uso opificio al piano terra di Mq. 660 totali, di cui Mq. 380 con altezza di mt 5,8; Mq. 250 con altezza mt 3,6; Mq. 30 con altezza di mt 3. Corte annessa di Mq. 460 totali di cui Mq. 190 nella parte anteriore e Mq. 270 nella parte posteriore. Buone condizioni. Piazzale esterno recintato. C […]
LEGGI ANCORA
- prezzo medio locale commerciale in zona OMI B4 : 709 €/m²
- prezzo medio locale commerciale a San Severino Marche : 754 €/m²
Vendita Capannone industriale, in zona TACCOLI, SAN SEVERINO MARCHE
capannone Taccoli
nella zona industriale di taccoli, proponiamo in vendita capannone con abitazioni pertinenziali, corte, completamente recintato: il capannone e realizzato in struttura prefabbricata, per gran parte senza colonne interne. il che facilita l'accesso di mezzi pesanti. - piano terra: Ampio locale di circa 100 […]
LEGGI ANCORA
Capannone industriale in vendita a San Severino Marche
capannone 88.000 €
San Severino Marche, Via Fratelli Acciaccaferri, in zona comoda e vicino al centro, vendiamo capannone. Il capannone, accessibile da un'ampio spiazzale, è affiancato ad altri ed ha una superficie di mq. 160 circa, è diviso in due locali, un soppalco, un locale ufficio ed un bagno. Questa struttura è como […]
LEGGI ANCORA
- prezzo medio appartamento in zona OMI B4 : 1156 €/m²
- prezzo medio locale commerciale in zona OMI B4 : 709 €/m²
Vendesi capannone industriale a San Severino Marche PREMIUM
- prezzo medio locale commerciale a San Severino Marche : 754 €/m²
- prezzo medio ufficio a San Severino Marche : 1045 €/m²
capannone in vendita a San Severino Marche in zona Taccoli
capannone Taccoli 990.000 €
CAPANNONE INDUSTRIALE + 3 APPARTAMENTI Nella comoda zona industriale in Loc. Taccoli del comune di San Severino Marche, a due passi dalle principali vie di collegamento stradale, proponiamo in vendita una struttura formata da un grande capannone industriale e tre appartamenti ad uso residenziale. La st […]
LEGGI ANCORA
Casa indipendente a San Severino Marche di 113 m² con 6 locali
capannone 190.000 €
Deliziosa casa singola disposta su 2 livelli composta da: P.Terra con ingresso su salottino con camino, cucina abitabile, disimpegno bagno e camera matrimoniale; P.1° con 2 camere matrimoniali, salone, bagno. + Forno a legna, garage, capannone e ampia corte con pozzo. In contesto tranquillo ma non isolat […]
LEGGI ANCORA
- prezzo medio casa indipendente in zona OMI R1 : 875 €/m²
- prezzo medio casa semindipendente in zona OMI R1 : 793 €/m²
Casa indipendente in vendita a San Severino Marche(MC
capannone 220.000 €
Casa singola composta da 2 appartamenti separati: uno ristrutturato di Mq 70 al piano terra con openspace, bagno, ripostiglio e portico di Mq 50, l'altro grezzo di Mq 110 al piano 1° + ricovero attrezzi di Mq 43 + capannone esterno di Mq 72 + terreno di Ha 11 di cui 6 ettari seminativi e 5 ettari boschiv […]
LEGGI ANCORA
- prezzo medio casa indipendente in zona OMI R1 : 875 €/m²
- prezzo medio casa semindipendente in zona OMI R1 : 793 €/m²
Vendita Terreno agricolo, SAN SEVERINO MARCHE
capannone 150.000 €
Proponiamo in vendita terreno agricolo della superficie complessiva di circa 6,3 ettari, con capannone annesso per allevamento di conigli, situato nella località di S. Anna, nel comune di San Severino Marche, in posizione tranquilla e facilmente accessibile. La proprietà ideale per attività agricole, pro […]
LEGGI ANCORA
capannone in vendita a San Severino Marche
capannone 220.000 €
Casa singola composta da 2 appartamenti separati: uno ristrutturato di Mq 70 al piano terra con open space, bagno, ripostiglio e portico di Mq 50, l'altro grezzo di Mq 110 al piano 1° predisposto per un appartamento con ingresso, cucina, 3 camere, bagno, antibagno, e ripostiglio + ricovero attrezzi di […]
LEGGI ANCORA
- prezzo medio casa indipendente in zona OMI R1 : 875 €/m²
- prezzo medio appartamento in zona OMI R1 : 786 €/m²
Capannone industriale in vendita a San Severino Marche PREMIUM
- prezzo medio appartamento in zona OMI B4 : 1156 €/m²
- prezzo medio locale commerciale in zona OMI B4 : 709 €/m²
locale di sgombero in vendita a San Severino Marche
capannone 1.100.000 €
Capannone con destinazione produttiva, cosi composto: - zona uffici su 2 livelli piano Terra e Primo, di ca 96 mq per piano - zona produttiva di ca 2200 mq, altezza 5 mt - zona magazzino di ca 900 mq, altezza 6,2 mt - corte circostante di ca 5000 mq cabina elettrica e altri locali tecnici Ape in corso […]
LEGGI ANCORA
Vendesi capannone industriale a San Severino Marche
capannone 250.000 €
Proponiamo Capannone affiancato posto su due livelli con corte esclusiva. -Piano Terra ampio locale con doppia porta d'ingresso carrabile e servizio igienico -Piano primo sala riunioni, locali ufficio e magazzini -Corte esclusiva su tre lati Riscaldamento a gas su tutti e due i piani Impianto elettrico, […]
LEGGI ANCORA
- prezzo medio locale commerciale a San Severino Marche : 754 €/m²
- prezzo medio ufficio a San Severino Marche : 1045 €/m²
Vendesi stabile/palazzo a San Severino Marche
capannone 320.000 €
Soluzione indipendente composta da: P.1° appartamento di ampia metratura con ingresso, ampio soggiorno, cucina, 3 camere, studio , 2 bagni e terrazza P.2° soffitta con lavanderia, stireria e 2 locali P.T. capannone con officina/laboratorio, uffici, locale esposizione e magazzini + corte esclusiva recinta […]
LEGGI ANCORA
- prezzo medio appartamento in zona OMI R1 : 786 €/m²
- prezzo medio casa indipendente in zona OMI R1 : 875 €/m²
Capannone industriale in vendita a San Severino Marche
capannone 150.000 €
Proponiamo in vendita terreno agricolo della superficie complessiva di circa 6,3 ettari, con capannone annesso per allevamento di conigli, situato nella località di S. Anna, nel comune di San Severino Marche, in posizione tranquilla e facilmente accessibile. La proprietà ideale per attività agricole, pro […]
LEGGI ANCORA
Capannone industriale in vendita a San Severino Marche
capannone Rocchetta 25.312 €
Localita' Berta snc, frazione Berta, San Severino Marche (Macerata) - Piena proprietà per la quota di 11 di fabbricato artigianaleagricolo a SAN SEVERINO MARCHE Loc. Berta snc, frazione Berta, quartiere -, della superficie commerciale di 628,20 mq, censito e distinto allAgenzia delle Entrate di Macerata […]
LEGGI ANCORA
Vendesi capannone industriale a San Severino Marche PREMIUM
- prezzo medio locale commerciale a San Severino Marche : 754 €/m²
- prezzo medio ufficio a San Severino Marche : 1045 €/m²
Capannone industriale in vendita a San Severino Marche via Ferrante Ferranti
capannone
Riferimento: 4505145 Asta scaduta: L’immobile non è più disponibile, ma ci sono oltre 20.000 aste attive e spesso ancora più convenienti. Contattaci ora: ti aiutiamo a trovare la tua prossima occasione o a ricevere maggiori informazioni. VIA FERRANTE FERRANTI, 62027 San Severino Marche Macerata Lotto: LO […]
LEGGI ANCORA
Vendesi capannone industriale a San Severino Marche
capannone Serralta 13.520 €
Riferimento: 4462504 Localita' Serralta 23, 62027 San Severino Marche Macerata Diritto di piena proprietà su un deposito artigianale della superficie commerciale di 119 metri quadri, sito a San Severino Marche (Mc), Località Serralta n. 23. Il locale è composto da un unico grande ambiente ed è ubicato al […]
LEGGI ANCORA
- prezzo medio appartamento in zona OMI R1 : 786 €/m²
- prezzo medio casa indipendente in zona OMI R1 : 875 €/m²
Capannone industriale in vendita a San Severino Marche viale Europa, 59
capannone 22.140 €
TRIBUNALE DI MACERATA ESECUZIONE IMMOBILIARE 18/2023 Vuoi acquistare questo immobile all'asta? Attiva gratuitamente il servizio di consulenza e semplifica gli ostacoli burocratici. Proposta di vendita di: LOTTO N. 02 (CORRISPONDENTE AL CORPO “C” DELLA RELAZIONE DI C.T.U. IN ATTI): LABORATORO ARIGIANALE D […]
LEGGI ANCORA
- prezzo medio locale commerciale in zona OMI B4 : 709 €/m²
- prezzo medio ufficio in zona OMI B4 : 1128 €/m²
Non perdere gli altri annunci!








