Valutazione immobiliare indipendente, accurata e gratuita
Ufficio in vendita a Paderno Dugnano a 118.463 € (cod.650b3dad)
Caasa non ha sufficienti informazioni per commentare l'ufficio in vendita a Paderno Dugnano - 650b3dad.
Analisi immobiliare
I dati in posseso di Caasa per quest'immobile sono insufficienti, inaffidabili o contraddittori per proporre un'analisi attendibile.
Mercato immobiliare a Paderno Dugnano
Per quanto riguarda più in generale la città di Paderno Dugnano, sono presenti al momento più di cento annunci per
uffici in vendita (meno del 5% dell'intera provincia)
e il maggior numero di annunci per questa tipologia sono relativi alla zona di Palazzolo Milanese.
Relativamente alla dinamica dei prezzi, possiamo dire che negli ultimi 6 mesi i prezzi medi in tutta la città per uffici in vendita sono
in sostanziale calo (-5,40%).
NOVITÀ Il risultato che vedi dipende dai dati che siamo riusciti ad estrarre dall'annuncio: ottieni una stima più accuranta di questo immobile, inserendo dati più precisi.
N.B. L'Opinione di Caasa® è un servizio sperimentale realizzato tramite tecniche di Intelligenza Artificiale, fornito senza alcuna garanzia di correttezza e completezza. Leggi il disclaimer o segnalaci un problema.
IMMAGINI
IN SINTESI
PROPOSTO DA:
Case all'Asta
DESCRIZIONE
di recente costruzione in asta giudiziaria di recente costruzione
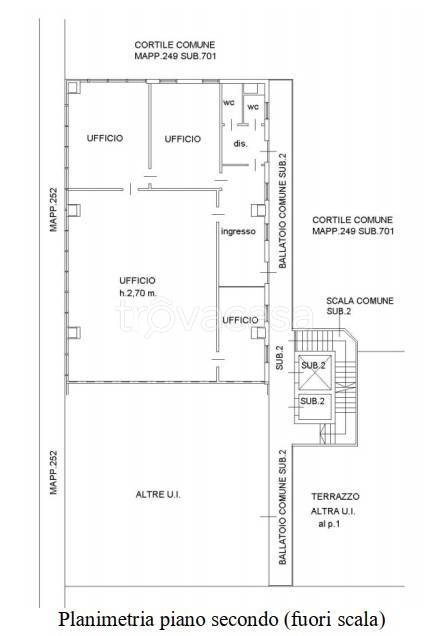
Ufficio al secondo piano, composto da ingresso, ampio vano uffici, bagno. Nessun costo di iscrizione con Case all'Asta - Acquista senza Rischi. Data di asta: 15/01/2026 Offerta minima: 118.463 € Procedura: 1/2024 lotto 7 Su www.case-asta.it scopri tu […]
