Valutazione immobiliare indipendente, accurata e gratuita
Terreno edificabile in vendita a Motta Visconti a 100.000 € (cod.65504b88)
Caasa non ha sufficienti informazioni per commentare il terreno edificabile in vendita a Motta Visconti - 65504b88.
Analisi immobiliare
I dati in posseso di Caasa per quest'immobile sono insufficienti, inaffidabili o contraddittori per proporre un'analisi attendibile.
Mercato immobiliare a Motta Visconti
Per quanto riguarda più in generale il comune di Motta Visconti, sono presenti al momento meno di dieci annunci per
terreni edificabili in vendita (meno dell'1% dell'intera provincia) .
Vedi altre informazioni direttamente su
Mercato-Immobiliare.info
NOVITÀ Il risultato che vedi dipende dai dati che siamo riusciti ad estrarre dall'annuncio: ottieni una stima più accuranta di questo immobile, inserendo dati più precisi.
N.B. L'Opinione di Caasa® è un servizio sperimentale realizzato tramite tecniche di Intelligenza Artificiale, fornito senza alcuna garanzia di correttezza e completezza. Leggi il disclaimer o segnalaci un problema.
IMMAGINI
IN SINTESI
PROPOSTO DA:
Tempocasa Binasco
DESCRIZIONE
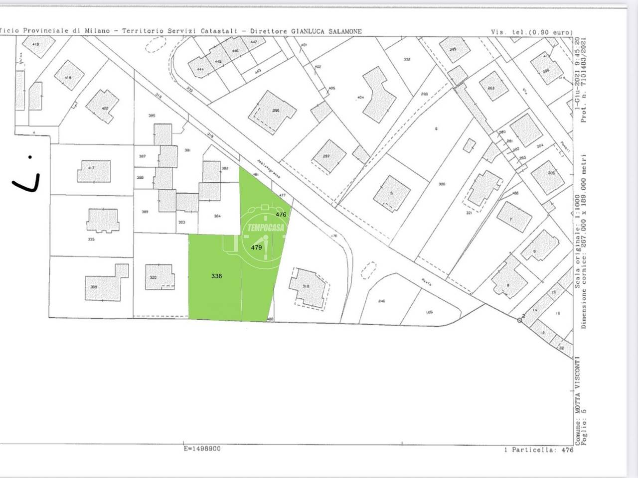
Rif: m8vl - Terreno edificabile residenziale – 2.100 mq | Villa di prestigio, Bifamiliare o progetto immobiliare Proponiamo in vendita terreno edificabile a destinazione residenziale di circa 2.100 mq complessivi, situato in posizione super comoda, facilmente accessibile e totalmente libero da palazzi o costruzioni che ne limitino la vista o il potenziale edificatorio. Il lotto, ampio e ben esposto, garantisce privacy, luminosità e massima libertà progettuale, risultando ideale per la realizzazione di una villa di prestigio, una bifamiliare oppure per un intervento di sviluppo immobiliare finalizzato alla rivendita. Dati urbanistici principali Indice di densità edilizia: 1,20 mc/mq Capacità volumetrica complessiva: circa 2.522 mc Superficie lorda di pavimento (SLP): circa 840 mq residenziali Composizione catastale del terreno: Mapp. 336 – 955 mq Mapp. 479 – 944 mq Mapp. 476 – 203 mq ✔ Superficie totale: circa 2.100 mq ✔ Destinazione: Residenziale ✔ Lotto regolare e facilmente edificabile ✔ Nessuna ostruzione visiva o volumetrica ✔ Ottima opportunità per privati e investitori Soluzione rara per chi desidera costruire la propria “super villa” su misura, una bifamiliare moderna, oppure per imprese di costruzione alla ricerca di un’area con ottimo potenziale edificatorio e commerciale

