Valutazione immobiliare indipendente, accurata e gratuita
Appartamento in vendita a Nibionno a 195.000 € (cod.64f197a5)
Caasa non ha sufficienti informazioni per commentare l'appartamento in vendita a Nibionno - 64f197a5.
Analisi immobiliare
I dati in posseso di Caasa per quest'immobile sono insufficienti, inaffidabili o contraddittori per proporre un'analisi attendibile.
Mercato immobiliare a Nibionno
Per quanto riguarda più in generale il comune di Nibionno, sono presenti al momento più di venti annunci per
appartamenti in vendita (meno dell'1% dell'intera provincia)
e il maggior numero di annunci per questa tipologia sono relativi alla zona di Tabiago.
Relativamente alla dinamica dei prezzi, possiamo dire che negli ultimi 6 mesi i prezzi medi in tutto il comune per appartamenti in vendita sono
sostanzialmente stabili (+1,00%).
NOVITÀ Il risultato che vedi dipende dai dati che siamo riusciti ad estrarre dall'annuncio: ottieni una stima più accuranta di questo immobile, inserendo dati più precisi.
N.B. L'Opinione di Caasa® è un servizio sperimentale realizzato tramite tecniche di Intelligenza Artificiale, fornito senza alcuna garanzia di correttezza e completezza. Leggi il disclaimer o segnalaci un problema.
IMMAGINI
IN SINTESI
DESCRIZIONE
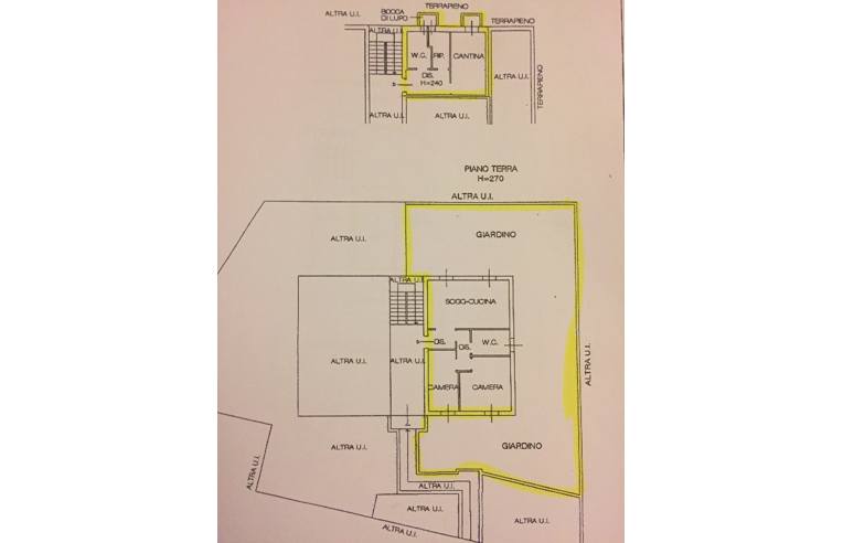
con posto auto con giardino
Da Privato. Trilocale posto al piano terra parzialmente arredato con ingresso indipendente direttamente su cucina e soggiorno open space. Nella zona notte si trovano un bagno con doccia walk in , camera matrimoniale e cameretta tutti i locali escluso il bagno hanno accesso diretto al giardino di proprietà che si sviluppa su tre lati dell'immobIle. Dal soggiorno si accede direttamente alla taverna riscaldata con annesso bagno con doccia e lavanderia. Completano la proprietà un box singolo e un posto auto

