Valutazione immobiliare indipendente, accurata e gratuita
Casa indipendente in vendita a Casalbuttano ed Uniti a 52.666 € (cod.6569529e)
Caasa non ha sufficienti informazioni per commentare la casa indipendente a Casalbuttano ed Uniti - 6569529e.
Analisi immobiliare
I dati in posseso di Caasa per quest'immobile sono insufficienti, inaffidabili o contraddittori per proporre un'analisi attendibile.
Mercato immobiliare a Casalbuttano ed Uniti
Per quanto riguarda più in generale il comune di Casalbuttano ed Uniti, sono presenti al momento più di trenta annunci per
case indipendenti in vendita (meno del 5% dell'intera provincia) .
Possiamo inoltre considerare che in tutto il comune negli ultimi 6 mesi, i prezzi per case indipendenti in vendita sono
in forte calo (-13,39%).
NOVITÀ Il risultato che vedi dipende dai dati che siamo riusciti ad estrarre dall'annuncio: ottieni una stima più accuranta di questo immobile, inserendo dati più precisi.
N.B. L'Opinione di Caasa® è un servizio sperimentale realizzato tramite tecniche di Intelligenza Artificiale, fornito senza alcuna garanzia di correttezza e completezza. Leggi il disclaimer o segnalaci un problema.
IMMAGINI
IN SINTESI
DESCRIZIONE
con cantina con terrazza in asta giudiziaria
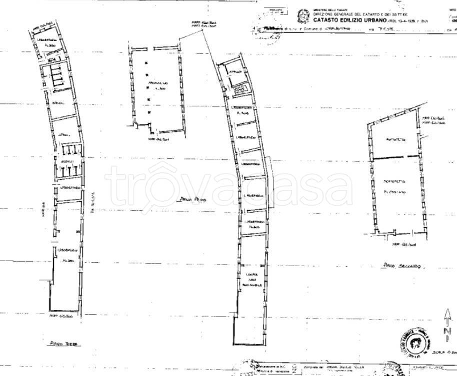
OTTIMA OCCASIONE - ASTA IMMOBILIARE piena proprietà di: - edifico posto al piano terra, primo e secondo, accatastato come civile abitazione ma utilizzato come deposito e ripostiglio di vecchio materiale - opificio sviluppantesi in due blocchi distinti: il primo è composto da piano terra, formato da sette locali; primo piano formato da sette locali e sottotetto non praticabile; il secondo è formato da piano primo in un unico locale e secondo formato da due ampie zone sottotetto (praticabile). - Via Trieste GLI AVVOCATI SPECIALIZZATI IN ASTE IMMOBILIARI DI SIMPLEX DOMUS GARANTISCONO UN ACQUISTO FACILE, SICURO ED ECONOMICO. CHIAMA PER AVERE MAGGIORI INFORMAZIONI. Il team di Avvocati di Simplex Domus è specializzato anche in acquisto in pre-asta e acquisto di crediti deteriorati NPL. Comprare un immobile all’asta è una eccellente opportunità economica. Ricordiamo che è possibile comprare un immobile all'asta tramite un mutuo e che tutti i clienti di Simplex Domus ricevono una consulenza mutuo gratuita. Più di 1000 famiglie e aziende hanno scelto Simplex Domus. Tutti gli annunci immobiliari hanno scopo pubblicitario e Simplex Domus non può garantire la totale esattezza o contemporaneità di tutte le informazioni riportate. Pertanto consigliamo di visionare tutta la documentazione del tribunale tramite un nostro Avvocato specializzato. Grazie per aver visionato il nostro annuncio

