Valutazione immobiliare indipendente, accurata e gratuita
Negozio in vendita a Longhena a 67.000 € (cod.64fa5419)
Caasa non ha sufficienti informazioni per commentare il negozio in vendita a Longhena - 64fa5419.
Analisi immobiliare
I dati in posseso di Caasa per quest'immobile sono insufficienti, inaffidabili o contraddittori per proporre un'analisi attendibile.
Mercato immobiliare a Longhena
Per quanto riguarda più in generale il comune di Longhena, sono presenti al momento meno di dieci annunci per
negozi in vendita (meno dell'1% dell'intera provincia) .
Vedi altre informazioni direttamente su
Mercato-Immobiliare.info
NOVITÀ Il risultato che vedi dipende dai dati che siamo riusciti ad estrarre dall'annuncio: ottieni una stima più accuranta di questo immobile, inserendo dati più precisi.
N.B. L'Opinione di Caasa® è un servizio sperimentale realizzato tramite tecniche di Intelligenza Artificiale, fornito senza alcuna garanzia di correttezza e completezza. Leggi il disclaimer o segnalaci un problema.
IMMAGINI
IN SINTESI
PROPOSTO DA:
Affiliato Tecnocasa: SERVIZI PER L'IMPRESA S.R.L.
DESCRIZIONE
con cantina
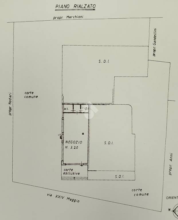
COSA SAPERE DELL'IMMOBILE: Proponiamo in vendita negozio a piano rialzato di circa 60 mq con corte d'ingresso esclusiva di circa 10 mq. L'immobile è posizionato nel centro del paese su strada principale, in un piccolo complesso commerciale e residenziale composto da 4 livelli (seminterrato per box e cantine, rialzato per le due unità commerciali, piano primo e secondo per le unità abitative). Il negozio presenta un vano principale con doppia vetrina ad angolo su fronte strada, disimpegno con accesso al ripostiglio ed al servizio igienico finestrato. Pavimentazione in ceramica ed altezza interna di circa 3 metri. L'immobile risulta ben illuminato grazie alle vetrine principali ed alle finestre presenti sul lato sud. A carico della parte acquirente la riattivazione degli impianti esistenti (elettrico, climatizzazione, caldaia ed illuminazione). Ottima posizione con parcheggio pubblico esterno libero. DISPONIBILE DA SUBITO! UBICAZIONE E CONTESTO Il Comune di Longhena (BS) ha acquisito nel tempo più importanza data la vicinanza alla strada provinciale e soprattutto al raccordo della BRE.BE.MI. situato a pochi Km nella zona di Azzano Mella (BS


