Valutazione immobiliare indipendente, accurata e gratuita
Casa indipendente in vendita a Covo a 196.000 € (cod.6543e74f)
Caasa non ha sufficienti informazioni per commentare la casa indipendente in vendita a Covo - 6543e74f.
Analisi immobiliare
I dati in posseso di Caasa per quest'immobile sono insufficienti, inaffidabili o contraddittori per proporre un'analisi attendibile.
Mercato immobiliare a Covo
Per quanto riguarda più in generale il comune di Covo, sono presenti al momento più di trenta annunci per
case indipendenti in vendita (meno dell'1% dell'intera provincia) .
La dinamica dei prezzi in tutto il comune mostra che negli ultimi 6 mesi, i prezzi per case indipendenti in vendita sono
in sostanziale aumento (+5,39%).
NOVITÀ Il risultato che vedi dipende dai dati che siamo riusciti ad estrarre dall'annuncio: ottieni una stima più accuranta di questo immobile, inserendo dati più precisi.
N.B. L'Opinione di Caasa® è un servizio sperimentale realizzato tramite tecniche di Intelligenza Artificiale, fornito senza alcuna garanzia di correttezza e completezza. Leggi il disclaimer o segnalaci un problema.
IMMAGINI
IN SINTESI
DESCRIZIONE
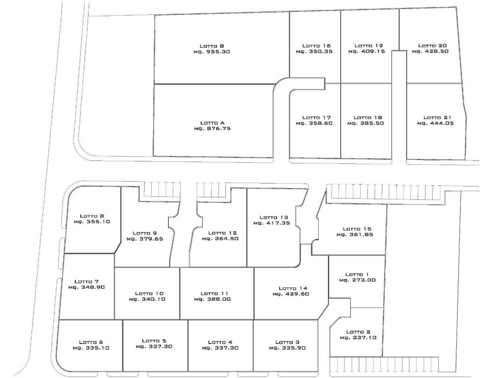
IDEALE PER IMPRESE, NUOVA LOTIZZAZIONE IN ZONA STRATEGICA VICINO A NUOVI POLI LOGISTICI !!!! Nel complesso di un progetto di nuova lotizzazione, studiata prevalentemente per ville singole o bifamigliari , questi due lotti si estendono per una superficie di 960 mq e un per volume realizzabile di 2.200 mc, in terreno pianeggiante e di nuova urbanizzazione. A disposizione due lotti, con volumetrie e cubature identiche e altri lotti per la realizzazione di ville singole o bifamiliari . !!! Terreno Edificabile per Appartamenti e VilleIl terreno edificabile si trova in una zona particolarmente tranquilla e ben servita. Questa zona rappresenta una delle aree più richieste grazie alla sua posizione strategica e alla vicinanza ai principali servizi cittadini.Potenzialità EdificatorieIl potenziale di questo terreno è notevole, permettendo la costruzione di:Appartamenti di Ultima Generazione: Progettati per soddisfare le esigenze contemporanee, con tecnologie all'avanguardia per il risparmio energetico e il comfort abitativo.Ville Singole o Bifamiliari: Perfette per famiglie che cercano spazi ampi e personalizzabili, in un contesto riservato.Spazi Verdi e Aree Ricreative: Possibilità di integrare giardini privati, parchi giochi e aree comuni per il benessere degli abitanti.Vantaggi dell'AcquistoCrescente Domanda di Mercato: La richiesta di immobili moderni e sostenibili è in continuo aumento, garantendo un buon ritorno sull'investimento.Flessibilità Progettuale: La possibilità di diversificare l'offerta con soluzioni su misura che rispondano alle specifiche richieste dei potenziali acquirenti.Contesto Elegante: Le costruzioni nella zona sono caratterizzate da un'architettura raffinata, contribuendo a mantenere l'eleganza del quartiere.Investire in questo terreno rappresenta un'opportunità unica per gli operatori del settore immobiliare che desiderano offrire un prodotto di alta qualità in una delle aree più promettenti


