N.B. Tutti le informazioni immobiliari sono fornite senza alcuna garanzia. Leggi il disclaimer.
Case semindipendenti in vendita a Lodi in zona Corso Mazzini - pg. 6 di 6
MODIFICA QUESTA RICERCAAppartamento in vendita a Lodi via Palmiro Togliatti, 21 PREMIUM
- prezzo medio appartamento in zona OMI D6 : 1944 €/m²
- prezzo medio bivano in zona OMI D6 : 1928 €/m²
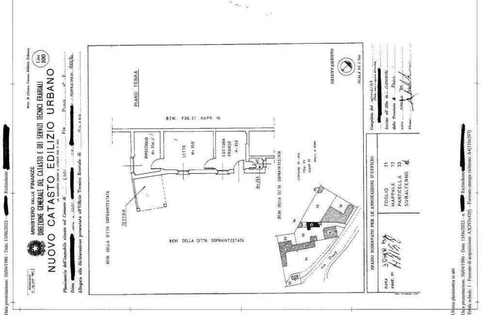
Vendita villa singola Viale PIAVE n. 3 e n.5 Lodi (LO
piano: terra
zona OMI: E4
cantina
casa semindipendente 403.000 €
A)Piena proprietà per la quota di 1000/1000 per l'abitazione sita in Comune di Lodi (LO), piano terra, con accesso da Viale Piave n.3 e 5 e costituita da un ingresso, un soggiorno, una cucina, un antibagno, un bagno, una camera da letto, un ripostiglio, un locale deposito con wc e da giardino recintato p […]
LEGGI ANCORA
- prezzo medio casa indipendente in zona OMI E4 : 2578 €/m²
- prezzo medio villa in zona OMI E4 : 2568 €/m²
Non perdere gli altri 73 annunci!

