N.B. Tutti le informazioni immobiliari sono fornite senza alcuna garanzia. Leggi il disclaimer.
Terreni edificabili in vendita a Castagneto Carducci
MODIFICA QUESTA RICERCATerreno in vendita a Castagneto Carducci(LI PREMIUM
Terreno in vendita a Castagneto Carducci(LI
terreno edificabile Marina di Castagneto Carducci 47.000 €
Terreno - Marina di Castagneto Carducci, vendesi lotto mq. 1.000 di terreno a macchia mediterranea e pini marittimi, collocato tra la pineta di Marina di Castagneto da un lato e la rinomata spiaggia dall'altro
LEGGI ANCORA
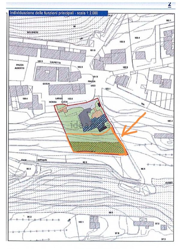
Terreno edificabile a 900 metri dal mare
terreno edificabile Marina di Castagneto Carducci 990.000 €
Ultima chiamata per poter costruire edifici ad uso residenziale a Marina di Castagneto nella fascia tra il mare e la superstrada! Da circa 20 anni i pian urbanistici del Comune impediscono la programmazione di nuovi insediamenti residenziali in questa fascia: rimangono questi 2 lotti di una vecchia previ […]
LEGGI ANCORA
terreno edificabile in vendita a Castagneto Carducci in zona Bolgheri
terreno edificabile Bolgheri 500.000 €
Opportunità unica di investimento in Bolgheri! Vendesi terreno edificabile situato in una posizione strategica e panoramica, ideale per lo sviluppo di strutture turistico ricettive. Il terreno, immerso nel cuore della Toscana, offre una superficie di 2000 mq perfettamente adatta alla costruzione di hotel […]
LEGGI ANCORA
Terreno in vendita a Castagneto Carducci(LI
villa in vendita a Castagneto Carducci
terreno edificabile
Per chi sogna di costruirsi la propria casa, in strada ben urbanizzata, in aerea con presenza di Villette e piccoli condomini, proponiamo ultimo Lotto edificabile di circa 1000mq con progetto già approvato per numero due Villette indipendenti. Il progetto prevede la realizzazione e lo sviluppo di una SLP […]
LEGGI ANCORA
Terreno in vendita a Castagneto Carducci(LI PREMIUM
Terreno agricolo in vendita a Castagneto Carducci, Marina Di Castagneto Carducci
terreno edificabile Marina di Castagneto Carducci
Marina di Castagneto Carducci, vendesi lotto mq. 1.000 di terreno a macchia mediterranea e pini marittimi, collocato tra la pineta di Marina di Castagneto da un lato e la rinomata spiaggia dall'altro, con vista mare; non edificabile per uso residenziale
LEGGI ANCORA
trivano in vendita a Castagneto Carducci in zona Marina di Castagneto Carducci
terreno edificabile Marina di Castagneto Carducci 205.000 €
NUOVA COSTRUZIONE – CONSEGNA ESTATE 2025 LOTTO N. 4 - € 205.000 - APPARTAMENTO PRIMO PIANO - TRILOCALE MARINA DI CASTAGNETO CARDUCCI *** Per info contattare il 366.52.53.570 - 339.80.94.972 *** PRIMO PIANO di circa 54 mq cat. con terrazzo e balcone Immerso nel verde e nella tranquillità a circa 1,700 Km […]
LEGGI ANCORA
- prezzo medio appartamento in zona OMI E4 : 3904 €/m²
- prezzo medio trivano in zona OMI E4 : 4039 €/m²
trivano in vendita a Castagneto Carducci in zona Marina di Castagneto Carducci
terreno edificabile Marina di Castagneto Carducci 215.000 €
TRATTATIVA IN CORSO *** NUOVA COSTRUZIONE – CONSEGNA ESTATE 2025 INT. 1 LOTTO B2b - € 215.000 - APPARTAMENTO PIANO TERRA CAPOSCHIERA - TRILOCALE MARINA DI CASTAGNETO CARDUCCI *** Per info contattare il 366.52. 53.570 - 339.80. 94.972 *** PIANO TERRA CAPOSCHIERA di circa 56 mq cat. con giardino su 3 lati […]
LEGGI ANCORA
- prezzo medio appartamento in zona OMI E4 : 3904 €/m²
- prezzo medio trivano in zona OMI E4 : 4039 €/m²
Terreno edificabile CASTAGNETO CARDUCCI MQ.110 Vani 4
terreno edificabile Donoratico
Vendiamo Lotti di terreno con 600 Mq di terreno (Con possibilità di acquistarne di più), puoi scegliere la volumetria che desideri, con un minimo di 80 mq ed un massimo di 330 mq. La posizione è strategica essendo in campagna, molto vicino al centro del paese. Se ami la tranquillità hai la possibilità di […]
LEGGI ANCORA
bivano in vendita a Castagneto Carducci
terreno edificabile 195.000 €
NUOVA COSTRUZIONE – CONSEGNA 2025 INT. 4 LOTTO B2b - € 195.000 - APPARTAMENTO PRIMO PIANO - BILOCALE *** Per info contattare il 366.52. 53.570 - 339.80. 94.972 *** PRIMO PIANO di circa 54 mq cat. con terrazzo e balcone Immerso nel verde e nella tranquillità a circa 1,700 Km dalla spiaggia, a 6 km dal ce […]
LEGGI ANCORA
- prezzo medio appartamento in zona OMI E4 : 3904 €/m²
- prezzo medio bivano in zona OMI E4 : 3865 €/m²
Terreno in vendita a Castagneto Carducci(LI PREMIUM
Le unità immobiliari fanno parte di una struttura Turistico ricettiva denominata Residence Riva di Bolgheri e sono ubicate a 10 minuti a piedi dalla spiaggia di Marina di Castagneto Carducci in prossimità dell'Oasi WWF di Bolgheri dalla quale ci divide il
terreno edificabile Bolgheri 280.000 €
Le unità immobiliari fanno parte di una struttura Turistico ricettiva denominata Residence Riva di Bolgheri e sono ubicate a 10 minuti a piedi dalla spiaggia di Marina di Castagneto Carducci in prossimità dell'Oasi WWF di Bolgheri dalla quale ci divide il torrente denominato "Seggio" o "Fossa di Bolgheri […]
LEGGI ANCORA
- prezzo medio appartamento in zona OMI E4 : 3904 €/m²
- prezzo medio casa semindipendente in zona OMI E4 : 4212 €/m²
Villa singola in vendita a Castagneto Carducci via delle pievi
terreno edificabile Donoratico 550.000 €
Mi hai insegnato tu che tutto è un segno. Così quando venerdì, dopo aver ritirato l’anello per il nostro fidanzamento e sono andato in un vivaio per prendere una rosa antica in cui appendere la scatolina per chiederti in sposa, sentir parlare un costruttore che cercava un castagno per una nuova lottizzaz […]
LEGGI ANCORA
- prezzo medio casa indipendente in zona OMI E3 : 2436 €/m²
- prezzo medio quadrivano in zona OMI E3 : 2318 €/m²
Vendesi bilocale a Castagneto Carducci viale delle Palme, Marina Di Castagneto Carducci
terreno edificabile Marina di Castagneto Carducci 240.000 €
MARINA di CASTAGNETO CARDUCCI nuovi appartamenti: In una delle località più famose e ambite della Costa degli Etruschi in Toscana, ai piedi della rinomata Bolgheri e delle sue colline nonché dell'Oasi WWF, si vendono più tipologie di unità immobiliari, situate all'interno di una NUOVA struttura Turistico […]
LEGGI ANCORA
IMMOBILI-IMMOBILE COMMERCIALE-Via del forte, 17, 57022 marina di castagneto carducci li, italia
terreno edificabile Marina di Castagneto Carducci 32.475 €
Vendita all'asta Senza incanto, con gara telematica asincrona - LOTTO 2: Piena propriet di fondo ad uso magazzino, al piano S1, composto da tre vani con accesso tramite due porte in alluminio anodizzato. Prezzo base € 32.475,00 (offerta minima € 24.356,00). Data inizio operazioni di vendita: 12/03/2026 o […]
LEGGI ANCORA
- prezzo medio trivano in zona Marina di Castagneto Carducci : 4069 €/m²
- prezzo medio trivano a Castagneto Carducci : 3524 €/m²







