Valutazione immobiliare indipendente, accurata e gratuita
Terreno agricolo in vendita a Camporosso a 90.000 € (cod.64f53803)
Caasa non ha sufficienti informazioni per commentare il terreno agricolo in vendita a Camporosso - 64f53803.
Analisi immobiliare
I dati in posseso di Caasa per quest'immobile sono insufficienti, inaffidabili o contraddittori per proporre un'analisi attendibile.
Mercato immobiliare a Camporosso
Per quanto riguarda più in generale il comune di Camporosso, sono presenti al momento più di trenta annunci per
terreni agricoli in vendita (meno del 10% dell'intera provincia) .
Vedi altre informazioni direttamente su
Mercato-Immobiliare.info
NOVITÀ Il risultato che vedi dipende dai dati che siamo riusciti ad estrarre dall'annuncio: ottieni una stima più accuranta di questo immobile, inserendo dati più precisi.
N.B. L'Opinione di Caasa® è un servizio sperimentale realizzato tramite tecniche di Intelligenza Artificiale, fornito senza alcuna garanzia di correttezza e completezza. Leggi il disclaimer o segnalaci un problema.
IMMAGINI
IN SINTESI
DESCRIZIONE
per vacanza
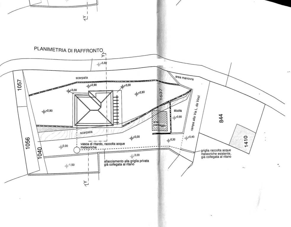
Terreno di 800 mq con progetto approvato a Camporosso – zona collinare con accesso comodo In vendita a Camporosso terreno di 800 mq con progetto approvato per costruire 60 mq residenziali e 80 mq di magazzino. Oneri già pagati. Ottima occasione a € 90.000. Località: Camporosso (IM) – zona collinare Superficie terreno: 800 mq Progetto approvato per: • 60 mq di abitazione residenziale • 80 mq di magazzino Accesso: comodo e diretto da strada asfaltata Oneri di urbanizzazione: già pagati Prezzo richiesto: € 90.000 In posizione tranquilla e soleggiata nella collina di Camporosso, a pochi minuti dal centro e dai principali servizi, proponiamo in vendita un terreno edificabile di 800 mq con progetto edilizio già approvato e oneri di urbanizzazione totalmente saldati. Il progetto prevede la costruzione di 60 mq di abitazione residenziale, ideale come prima casa o casa vacanza, e 80 mq di magazzino al piano sottostante. Il terreno è facilmente accessibile da strada comunale, con ottima esposizione solare e vista aperta sulla vallata. La posizione collinare garantisce privacy e tranquillità, restando comunque a breve distanza da Bordighera, Ventimiglia e il mare. Punti di forza Progetto già approvato → risparmio di tempo e burocrazia Oneri già pagati → investimento pronto per partire con i lavori Accesso comodo → non servono lavori di urbanizzazione primaria Posizione panoramica e tranquilla, ma vicina al centro Ideale per chi cerca una casa indipendente a costo contenuto Ottima soluzione anche per costruttori e investitori locali Contattaci subito per visionare il progetto e organizzare una visita in loco

