Valutazione immobiliare indipendente, accurata e gratuita
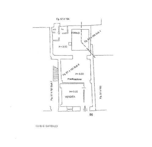
Negozio in vendita ad Orte in zona Orte Scalo a 48.000 € (cod.652ab778)
Caasa non ha sufficienti informazioni per commentare il negozio in vendita ad Orte in zona Orte Scalo - 652ab778.
Analisi immobiliare
I dati in posseso di Caasa per quest'immobile sono insufficienti, inaffidabili o contraddittori per proporre un'analisi attendibile.
Mercato immobiliare ad Orte
Per quanto riguarda più in generale il comune di Orte, sono presenti al momento più di trenta annunci per
negozi in vendita (meno del 5% dell'intera provincia)
e il maggior numero di annunci per questa tipologia sono relativi proprio alla zona di Orte Scalo.
Vedi altre informazioni direttamente su
Mercato-Immobiliare.info
NOVITÀ Il risultato che vedi dipende dai dati che siamo riusciti ad estrarre dall'annuncio: ottieni una stima più accuranta di questo immobile, inserendo dati più precisi.
N.B. L'Opinione di Caasa® è un servizio sperimentale realizzato tramite tecniche di Intelligenza Artificiale, fornito senza alcuna garanzia di correttezza e completezza. Leggi il disclaimer o segnalaci un problema.
