Valutazione immobiliare indipendente, accurata e gratuita
Terreno edificabile in vendita a Zagarolo in zona Valle Martella (cod.652a18b8)
Caasa non ha sufficienti informazioni per commentare il terreno edificabile a Zagarolo Valle Martella - 652a18b8.
Analisi immobiliare
I dati in posseso di Caasa per quest'immobile sono insufficienti, inaffidabili o contraddittori per proporre un'analisi attendibile.
Mercato immobiliare a Zagarolo
Per quanto riguarda più in generale la città di Zagarolo, sono presenti al momento più di cinquanta annunci per
terreni edificabili in vendita (meno del 5% dell'intera provincia)
e il maggior numero di annunci per questa tipologia sono relativi proprio alla zona di Valle Martella.
Vedi altre informazioni direttamente su
Mercato-Immobiliare.info
NOVITÀ Il risultato che vedi dipende dai dati che siamo riusciti ad estrarre dall'annuncio: ottieni una stima più accuranta di questo immobile, inserendo dati più precisi.
N.B. L'Opinione di Caasa® è un servizio sperimentale realizzato tramite tecniche di Intelligenza Artificiale, fornito senza alcuna garanzia di correttezza e completezza. Leggi il disclaimer o segnalaci un problema.
IMMAGINI
IN SINTESI
PROPOSTO DA:
L\'immobiliare.com - Saronno
DESCRIZIONE
di nuova costruzione con giardino di nuova costruzione
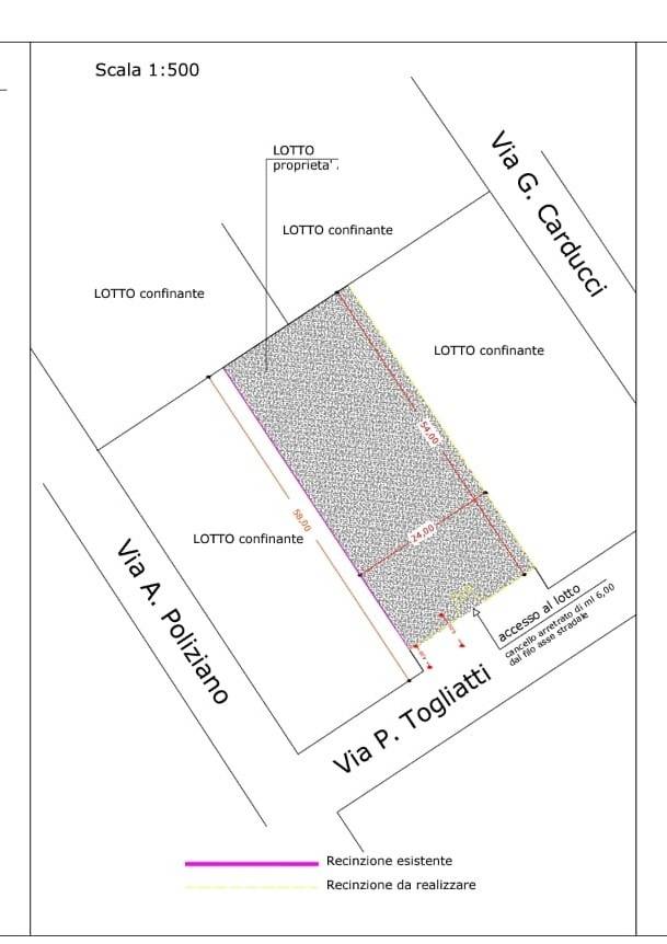
VALLE MARTELLA - VIALE PALMIRO TOGLIATTI - TERRENO EDIFICABILE La FRIMM PROGEA lieta di proporre in vendita un lotto di terreno edificabile. Il terreno, di 1.400 mq, ha una forma rettangolare ed situato in una posizione strategica, con accesso dirett […]
