Valutazione immobiliare indipendente, accurata e gratuita
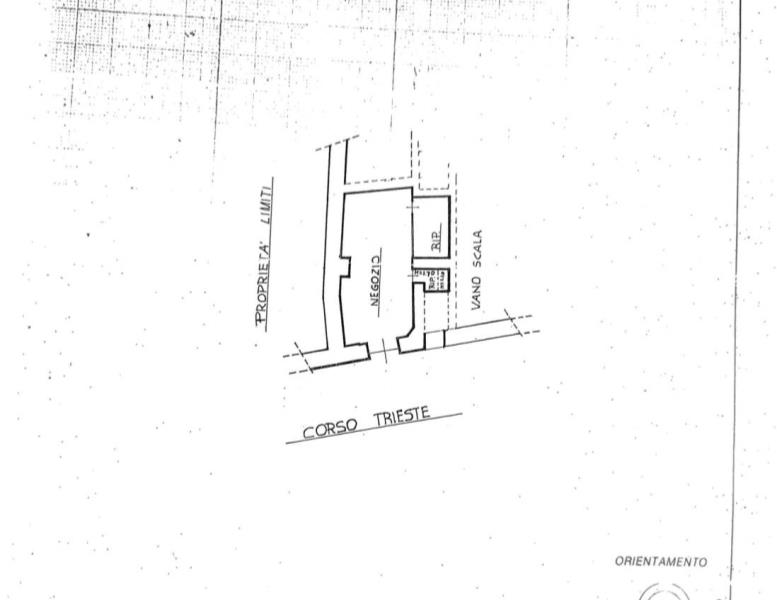
Locale commerciale in vendita a Marino a 40.000 € (cod.65938238)
Caasa non ha sufficienti informazioni per commentare il locale commerciale in vendita a Marino - 65938238.
Analisi immobiliare
I dati in posseso di Caasa per quest'immobile sono insufficienti, inaffidabili o contraddittori per proporre un'analisi attendibile.
Mercato immobiliare a Marino
Per quanto riguarda più in generale la città di Marino, sono presenti al momento più di cinquanta annunci per
locali commerciali in vendita (meno del 5% dell'intera provincia)
e il maggior numero di annunci per questa tipologia sono relativi alla zona di Santa Maria delle Mole.
Per quanto riguarda la dinamica dei prezzi, negli ultimi 6 mesi i prezzi medi in tutta la città per locali commerciali in vendita sono
in forte calo (-14,98%).
NOVITÀ Il risultato che vedi dipende dai dati che siamo riusciti ad estrarre dall'annuncio: ottieni una stima più accuranta di questo immobile, inserendo dati più precisi.
N.B. L'Opinione di Caasa® è un servizio sperimentale realizzato tramite tecniche di Intelligenza Artificiale, fornito senza alcuna garanzia di correttezza e completezza. Leggi il disclaimer o segnalaci un problema.

