Valutazione immobiliare indipendente, accurata e gratuita
Negozio in vendita a Colleferro a 61.875 € (cod.658facad)
Caasa non ha sufficienti informazioni per commentare il negozio in vendita a Colleferro - 658facad.
Analisi immobiliare
I dati in posseso di Caasa per quest'immobile sono insufficienti, inaffidabili o contraddittori per proporre un'analisi attendibile.
Mercato immobiliare a Colleferro
Per quanto riguarda più in generale la città di Colleferro, sono presenti al momento più di cinquanta annunci per
negozi in vendita (meno dell'1% dell'intera provincia) .
Vedi altre informazioni direttamente su
Mercato-Immobiliare.info
NOVITÀ Il risultato che vedi dipende dai dati che siamo riusciti ad estrarre dall'annuncio: ottieni una stima più accuranta di questo immobile, inserendo dati più precisi.
N.B. L'Opinione di Caasa® è un servizio sperimentale realizzato tramite tecniche di Intelligenza Artificiale, fornito senza alcuna garanzia di correttezza e completezza. Leggi il disclaimer o segnalaci un problema.
IMMAGINI
IN SINTESI
PROPOSTO DA:
Studio Giuliani Real Estate Srl
DESCRIZIONE
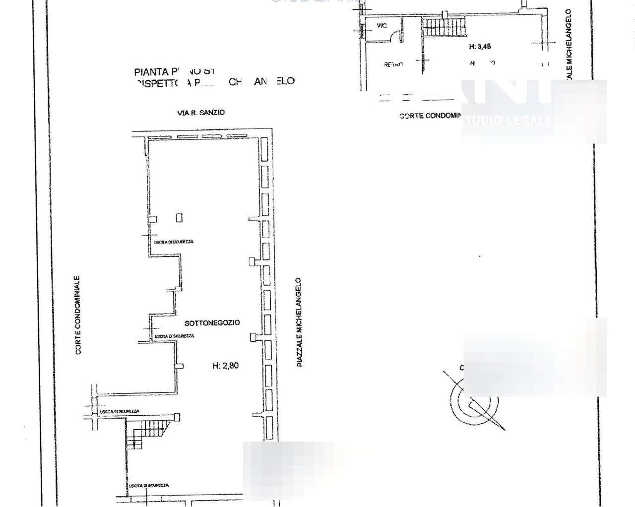
di nuova costruzione con balcone in asta giudiziaria di nuova costruzione
POSSIBILITA' DI ASSISTENZA PER TUTTI GLI IMMOBILI IN ASTA, ANCHE QUELLI NON PUBBLICATI DAL NOSTRO STUDIO. Comune di Colleferro (RM) Largo Michelangelo, 5 -Locale composto da due vani, uno minore al piano terra ed uno più ampio al piano interrato, collegati da scala. Il piano terra, ha una superficie lorda di mq 81,00, ripartita in un negozio di macelleria e di un retro bottega di servizio dotato di un bagno con finestra; il piano interrato ha una superficie lorda totale di mq 230,00 ed ha tre aperture verso la corte condominiale. OFFERTA MINIMA: 61.875,00 EURO DATA DELL'ASTA: 30/01/2026 11:00 Casa è dove si trova il cuore. (Plinio il vecchio) Con lo STUDIO GIULIANI REAL ESTATE il sogno diventa realtà! Il nostro team di professionisti offre assistenza, consulenza legale e stragiudiziale per tutti gli immobili in asta giudiziaria e libero mercato. I servizi offerti al nostro cliente sono molteplici: - Ricerca dell'immobile con valutazione immobiliare - Valutazione preliminare tecnica e studio della perizia con geometra in sede; - Valutazione economica con broker finanziario in sede con possibilità di mutuo fino al 100% del prezzo di aggiudicazione; - Prenotazione visita degli immobili oggetto di interesse tramite il custode giudiziario; - Partecipazione in asta, il cliente verrà seguito fino alla consegna delle chiavi; - Effettuiamo inoltre pratiche di saldo e stralcio e di acquisto del credito dai maggiori istituti bancari. - La nostra parcella è dovuta solo in caso di aggiudicazione. - Il nostro team è a vostra completa disposizione per fornirvi tutte le informazioni e per fissare un appuntamento per una consulenza gratuita. I dati inerenti l'immobile ed il materiale fotografico contenuti nel presente annuncio verranno confermati in sede di consulenza. Puoi consultare tutti gli immobili disponibili in aggiornamento quotidiano sul nostro sito www.dominioaste.it o sulla nostra applicazione mobile gratuita dominioaste


