Valutazione immobiliare indipendente, accurata e gratuita
Casa indipendente in vendita ad Anzio in zona Villa Claudia a 58.050 € (cod.65948f0e)
Caasa non ha sufficienti informazioni per commentare la casa indipendente ad Anzio in zona Villa Claudia - 65948f0e.
Analisi immobiliare
I dati in posseso di Caasa per quest'immobile sono insufficienti, inaffidabili o contraddittori per proporre un'analisi attendibile.
Mercato immobiliare ad Anzio
Per quanto riguarda più in generale la città di Anzio, sono presenti al momento ben oltre mille annunci per
case indipendenti in vendita (meno del 5% dell'intera provincia)
e il maggior numero di annunci per questa tipologia sono relativi alla zona di Mare, mentre nella zona di Villa Claudia è presente un numero significativamente inferiore di annunci.
La richiesta media nella zona dove sorge la casa indipendente (Villa Claudia pressi Via Roma) è pari a
1.925 €/m², molto vicina ai valori della zona Anzio Colonia che sono i più alti della città .
Possiamo inoltre considerare che in tutta la città negli ultimi 6 mesi, i prezzi per case indipendenti in vendita sono
in debole aumento (+1,37%).
NOVITÀ Il risultato che vedi dipende dai dati che siamo riusciti ad estrarre dall'annuncio: ottieni una stima più accuranta di questo immobile, inserendo dati più precisi.
N.B. L'Opinione di Caasa® è un servizio sperimentale realizzato tramite tecniche di Intelligenza Artificiale, fornito senza alcuna garanzia di correttezza e completezza. Leggi il disclaimer o segnalaci un problema.
IMMAGINI
IN SINTESI
PROPOSTO DA:
Gruppo Fism Aste
DESCRIZIONE
da ristrutturare in asta giudiziaria da ristrutturare
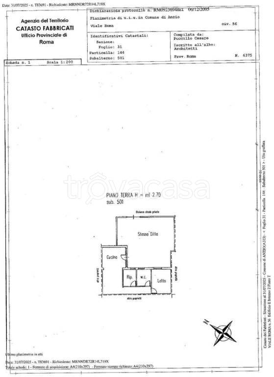
appartamento sito al piano terra di più ampio villino quadrifamiliare, posto all’interno delcondominio europa 2000, con accesso indipendente da strada privata comune. DATA ASTA 04/06/2026 IL GRUPPO FISM, settore Aste Giudiziarie, offre: CONSULENZA LE […]
