Valutazione immobiliare indipendente, accurata e gratuita
Casa indipendente in vendita a Sagrado a 89.000 € (cod.650343b5)
Caasa non ha sufficienti informazioni per commentare la casa indipendente in vendita a Sagrado - 650343b5.
Analisi immobiliare
I dati in posseso di Caasa per quest'immobile sono insufficienti, inaffidabili o contraddittori per proporre un'analisi attendibile.
Mercato immobiliare a Sagrado
Per quanto riguarda più in generale il comune di Sagrado, sono presenti al momento più di trenta annunci per
case indipendenti in vendita (meno del 5% dell'intera provincia) .
Relativamente alla dinamica dei prezzi, possiamo dire che negli ultimi 6 mesi i prezzi medi in tutto il comune per case indipendenti in vendita sono
in forte aumento (+60,51%).
NOVITÀ Il risultato che vedi dipende dai dati che siamo riusciti ad estrarre dall'annuncio: ottieni una stima più accuranta di questo immobile, inserendo dati più precisi.
N.B. L'Opinione di Caasa® è un servizio sperimentale realizzato tramite tecniche di Intelligenza Artificiale, fornito senza alcuna garanzia di correttezza e completezza. Leggi il disclaimer o segnalaci un problema.
IMMAGINI
IN SINTESI
DESCRIZIONE
da ristrutturare con giardino con posto auto da ristrutturare con terrazza
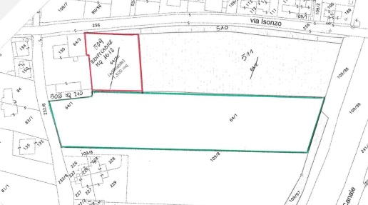
Proponiamo porzione di villa al 1° piano rialzato con giardino privato a Poggio Terzarmata. L'appartamento si compone di ingresso, un unico vano da ristrutturare e terrazzo. Acquistabile separatamente box auto e porzione di fienile a € 30.000, terreno edificabile m2 1618 a €110.000 (colorato in rosso vedi planimetria), terreno m2 7235 a € 40.000 (colorato in verde vedi planimetria) Per informazioni chiamare Herbert 389 7965473 (SLO) Juri 333 4742565 SLO: Ponujamo del vile v 1. nadstropju z zasebnim vrtom v Poggio Terzarmata. Stanovanje obsega predsobo, enoposteljno sobo za prenovo in teraso. Možen nakup garaže in dela hleva posebej za 30.000€, stavbno zemljišče m2 1618 po 110.000 € (rdeče glej tloris), zemljišče m2 7235 po 40.000 € (zeleno glej tloris) Za informacije pokličite Herbert 389 7965473 (SLO) Juri 333 4742565



