Valutazione immobiliare indipendente, accurata e gratuita
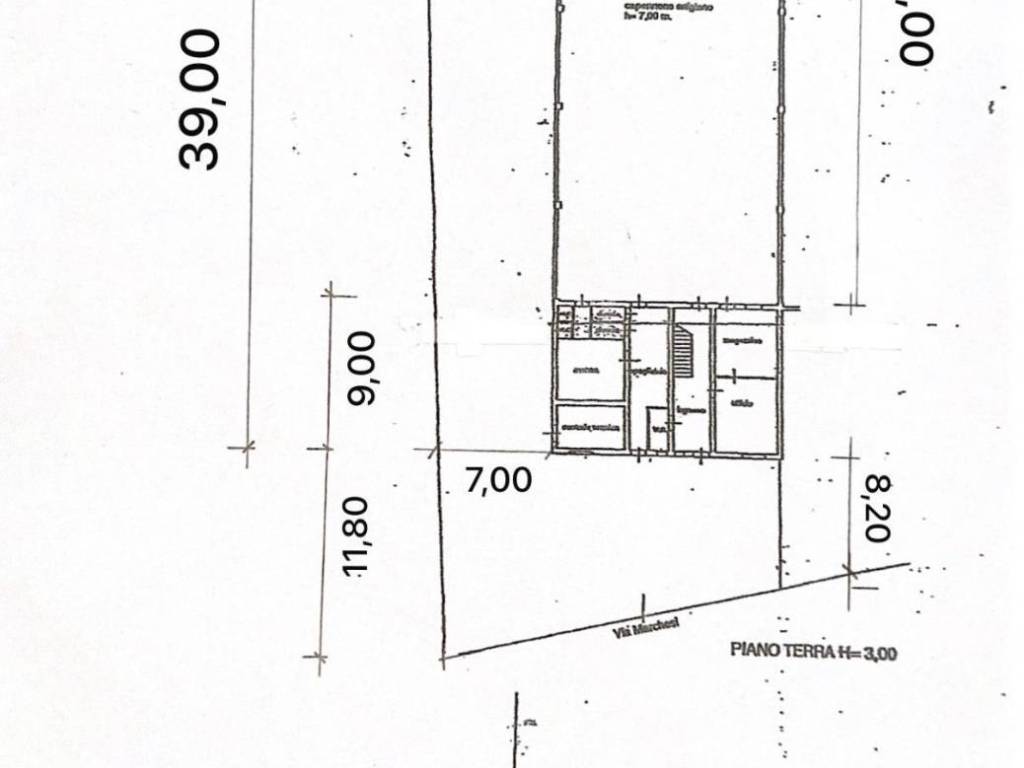
Locale commerciale in vendita a Formigine (cod.653647a2)
Caasa non ha sufficienti informazioni per commentare il locale commerciale in vendita a Formigine - 653647a2.
Analisi immobiliare
I dati in posseso di Caasa per quest'immobile sono insufficienti, inaffidabili o contraddittori per proporre un'analisi attendibile.
Mercato immobiliare a Formigine
Per quanto riguarda più in generale la città di Formigine, sono presenti al momento più di venti annunci per
locali commerciali in vendita (meno del 5% dell'intera provincia)
e il maggior numero di annunci per questa tipologia sono relativi alla zona di Magreta.
NOVITÀ Il risultato che vedi dipende dai dati che siamo riusciti ad estrarre dall'annuncio: ottieni una stima più accuranta di questo immobile, inserendo dati più precisi.
N.B. L'Opinione di Caasa® è un servizio sperimentale realizzato tramite tecniche di Intelligenza Artificiale, fornito senza alcuna garanzia di correttezza e completezza. Leggi il disclaimer o segnalaci un problema.
IMMAGINI
IN SINTESI
PROPOSTO DA:
IMMOBILIARE DUEMILA 2000 S.R.L.
