Valutazione immobiliare indipendente, accurata e gratuita
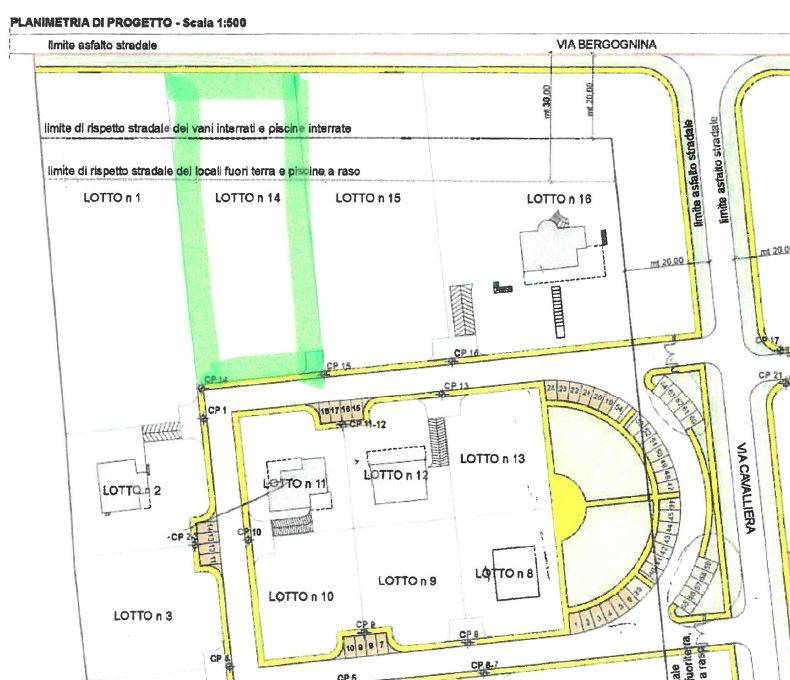
Terreno edificabile in vendita a Castelvetro di Modena a 530.000 € (cod.64f6e1b3)
Caasa non ha sufficienti informazioni per commentare il terreno edificabile a Castelvetro di Modena - 64f6e1b3.
	Analisi immobiliare
	
	I dati in posseso di Caasa per quest'immobile sono insufficienti, inaffidabili o contraddittori per proporre un'analisi attendibile.
	
	Mercato immobiliare a Castelvetro di Modena
	
	Per quanto riguarda più in generale il comune di Castelvetro di Modena, sono presenti al momento più di trenta annunci per 
		terreni edificabili in vendita (meno del 5% dell'intera provincia) 
	
	 e il maggior numero di annunci per questa tipologia sono relativi alla zona di Levizzano Rangone.
	
	
	
	Vedi altre informazioni direttamente su 
		Mercato-Immobiliare.info
		
	
NOVITÀ Il risultato che vedi dipende dai dati che siamo riusciti ad estrarre dall'annuncio: ottieni una stima più accuranta di questo immobile, inserendo dati più precisi.
N.B. L'Opinione di Caasa® è un servizio sperimentale realizzato tramite tecniche di Intelligenza Artificiale, fornito senza alcuna garanzia di correttezza e completezza. Leggi il disclaimer o segnalaci un problema.
IMMAGINI
IN SINTESI
PROPOSTO DA:
STUDIO CASA
 
                         
                               
                               
                               
                               
                              