Valutazione immobiliare indipendente, accurata e gratuita
Casa indipendente in vendita a Forlimpopoli a 155.000 € (cod.6565921f)
Caasa non ha sufficienti informazioni per commentare la casa indipendente in vendita a Forlimpopoli - 6565921f.
Analisi immobiliare
I dati in posseso di Caasa per quest'immobile sono insufficienti, inaffidabili o contraddittori per proporre un'analisi attendibile.
Mercato immobiliare a Forlimpopoli
Per quanto riguarda più in generale il comune di Forlimpopoli, sono presenti al momento più di cento annunci per
case indipendenti in vendita (meno del 5% dell'intera provincia) .
La dinamica dei prezzi in tutto il comune mostra che negli ultimi 6 mesi, i prezzi per case indipendenti in vendita sono
sostanzialmente stabili (+0,28%).
NOVITÀ Il risultato che vedi dipende dai dati che siamo riusciti ad estrarre dall'annuncio: ottieni una stima più accuranta di questo immobile, inserendo dati più precisi.
N.B. L'Opinione di Caasa® è un servizio sperimentale realizzato tramite tecniche di Intelligenza Artificiale, fornito senza alcuna garanzia di correttezza e completezza. Leggi il disclaimer o segnalaci un problema.
IMMAGINI
IN SINTESI
DESCRIZIONE
di recente ristrutturazione con posto auto con garage con giardino con cucina abitabile di recente ristrutturazione
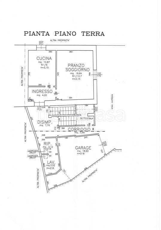
Zona Forlimpopoli si vende casa indipendente composta da piano terra e primo piano con garage e giardino indipendente. A piano terra accediamo in un ingresso che dà accesso alla cucina abitabile, soggiorno e al bagno. Tramite una scala in muratura saliamo al primo piano dove troviamo due camere da letto e un bagno. Completano la proprietà un garage e il cortiletto/giardino antistante. L'immobile necessita di una ristrutturazione completa. info su richiesta

