Valutazione immobiliare indipendente, accurata e gratuita
Appartamento in vendita a Cesena in zona Centro Storico a 49.000 € (cod.652742c2)
Caasa non ha sufficienti informazioni per commentare l'appartamento a Cesena in zona Centro Storico - 652742c2.
Analisi immobiliare
I dati in posseso di Caasa per quest'immobile sono insufficienti, inaffidabili o contraddittori per proporre un'analisi attendibile.
Mercato immobiliare a Cesena
Per quanto riguarda più in generale la città di Cesena, sono presenti al momento ben oltre mille annunci per
appartamenti in vendita (meno di un terzo dell'intera provincia)
e il maggior numero di annunci per questa tipologia sono relativi proprio alla zona di Centro Storico.
La richiesta media nella zona dove sorge l'appartamento (Centro Storico pressi Via Guido Marinelli) è pari a
2.620 €/m², molto vicina ai valori della zona Fiorenzuola che sono i più alti della città .
Possiamo inoltre considerare che in tutta la città negli ultimi 6 mesi, i prezzi per appartamenti in vendita sono
in sostanziale aumento (+6,17%).
NOVITÀ Il risultato che vedi dipende dai dati che siamo riusciti ad estrarre dall'annuncio: ottieni una stima più accuranta di questo immobile, inserendo dati più precisi.
N.B. L'Opinione di Caasa® è un servizio sperimentale realizzato tramite tecniche di Intelligenza Artificiale, fornito senza alcuna garanzia di correttezza e completezza. Leggi il disclaimer o segnalaci un problema.
IMMAGINI
IN SINTESI
PROPOSTO DA:
AGENZIA IMMOBILIARE LOMBARDINI DI LOMBARDINI PIERO
DESCRIZIONE
da ristrutturare con termocondizionamento da ristrutturare
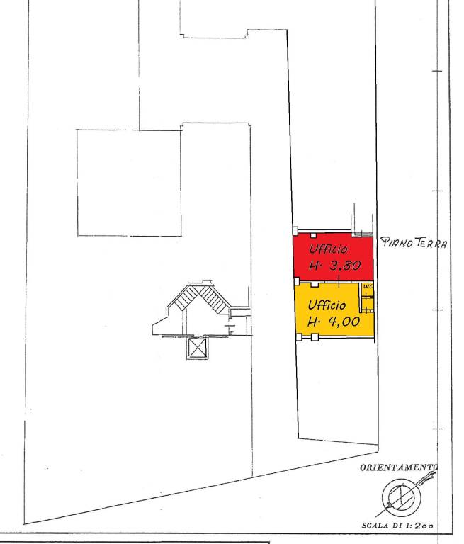
Cesena adiacente alla zona Barriera ubicata in storica Galleria, a due passi da Corso Sozzi ma fuori dalla ZTL, disponiamo per la VENDITA (in blocco unico) di due negozi di circa 60 mq tot., con altrettante vetrine, attualmente accatastati come uffici, comunicanti e dotati di servizi igienici autonomi. Le condizioni generali e le finiture anni 70 presuppongono dei lavoretti di ammodernamento, per quanto, sia l'impianto elettrico che il riscaldamento siano già a norma. Riscaldamento centralizzato con valvole termostatiche e contabilizzatori di calorie. euro 79000 tratt Per info AGENZIA LOMBARDINI VIA ALBERTINI 28 Per maggiori dettagli e/o appuntamenti Andrea 3476381083. Ape G. RIF. AN102

