Valutazione immobiliare indipendente, accurata e gratuita
Casa indipendente in vendita a Codigoro a 50.000 € (cod.651e7251)
Caasa non ha sufficienti informazioni per commentare la casa indipendente in vendita a Codigoro - 651e7251.
Analisi immobiliare
I dati in posseso di Caasa per quest'immobile sono insufficienti, inaffidabili o contraddittori per proporre un'analisi attendibile.
Mercato immobiliare a Codigoro
Per quanto riguarda più in generale il comune di Codigoro, sono presenti al momento più di 200 annunci per
case indipendenti in vendita (meno del 5% dell'intera provincia)
e il maggior numero di annunci per questa tipologia sono relativi alla zona di Pontelangorino.
Relativamente alla dinamica dei prezzi, possiamo dire che negli ultimi 6 mesi i prezzi medi in tutto il comune per case indipendenti in vendita sono
sostanzialmente stabili (+0,44%).
NOVITÀ Il risultato che vedi dipende dai dati che siamo riusciti ad estrarre dall'annuncio: ottieni una stima più accuranta di questo immobile, inserendo dati più precisi.
N.B. L'Opinione di Caasa® è un servizio sperimentale realizzato tramite tecniche di Intelligenza Artificiale, fornito senza alcuna garanzia di correttezza e completezza. Leggi il disclaimer o segnalaci un problema.
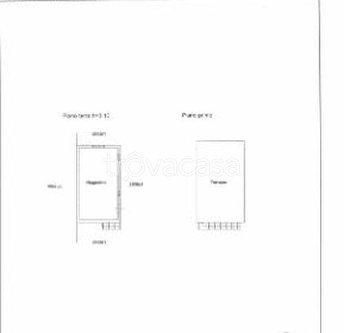
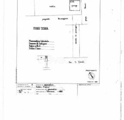
IMMAGINI
IN SINTESI
DESCRIZIONE
di recente ristrutturazione con posto auto con garage con giardino con cantina con terrazza con termocondizionamento di recente ristrutturazione
Casa Indipendente in Vendita a Codigoro Centro**Scopri questa affascinante casa indipendente situata nel cuore di Codigoro. Con una superficie commerciale di 235 m, questa proprieta offre ampi spazi e una disposizione funzionale. Al piano terra, un accogliente ingresso conduce a un luminoso soggiorno e a una zona pranzo, perfetti per momenti di convivialita. La cucina, spaziosa e ben attrezzata, e ideale per gli amanti della gastronomia.Salendo al primo piano, troverai quattro camere da letto, perfette per accogliere una famiglia numerosa o per creare uno spazio dedicato agli ospiti. I tre bagni garantiscono comfort e privacy per tutti. Inoltre, un ampio ripostiglio e un garage offrono ulteriore spazio per riporre oggetti e veicoli.La proprieta e circondata da un giardino esclusivo di 300 m, dove potrai goderti il sole e organizzare piacevoli barbecue con amici e familiari. Sebbene necessiti di ristrutturazione, questa casa rappresenta una grande opportunita per personalizzarla secondo i propri gusti.Con riscaldamento con stufa a pellet e gas naturale, la casa e efficiente dal punto di vista energetico, anche se attualmente classificata in classe G. Non perdere l'occasione di trasformare questa casa in un rifugio accogliente nel centro di Codigoro! Contattaci per ulteriori informazioni e per organizzare una visita

