Valutazione immobiliare indipendente, accurata e gratuita
Appartamento in vendita a Trentinara a 44.339 € (cod.65946999)
Caasa non ha sufficienti informazioni per commentare l'appartamento in vendita a Trentinara - 65946999.
Analisi immobiliare
I dati in posseso di Caasa per quest'immobile sono insufficienti, inaffidabili o contraddittori per proporre un'analisi attendibile.
Mercato immobiliare a Trentinara
Per quanto riguarda più in generale il comune di Trentinara, sono presenti al momento più di venti annunci per
appartamenti in vendita (meno dell'1% dell'intera provincia) .
NOVITÀ Il risultato che vedi dipende dai dati che siamo riusciti ad estrarre dall'annuncio: ottieni una stima più accuranta di questo immobile, inserendo dati più precisi.
N.B. L'Opinione di Caasa® è un servizio sperimentale realizzato tramite tecniche di Intelligenza Artificiale, fornito senza alcuna garanzia di correttezza e completezza. Leggi il disclaimer o segnalaci un problema.
IMMAGINI
IN SINTESI
PROPOSTO DA:
Centro Aste Franchising
DESCRIZIONE
di nuova costruzione in asta giudiziaria di nuova costruzione
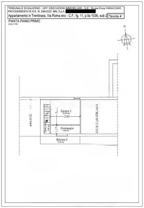
Asta appartamento a Trentinara (SA) Via Roma, 113, 84070 Trentinara SA, Italia Appartamento per civile abitazione sito in Trentinara, alla Via Roma n. 113 (fg 1, p.lla1036, sub. 2), disposto su tre livelli, piano terra, seminterrato e primo piano. Pe […]
