Valutazione immobiliare indipendente, accurata e gratuita
Locale commerciale in vendita a Pagani (cod.64e8bf86)
Caasa non ha sufficienti informazioni per commentare il locale commerciale in vendita a Pagani - 64e8bf86.
Analisi immobiliare
I dati in posseso di Caasa per quest'immobile sono insufficienti, inaffidabili o contraddittori per proporre un'analisi attendibile.
Mercato immobiliare a Pagani
Per quanto riguarda più in generale la città di Pagani, sono presenti al momento più di venti annunci per
locali commerciali in vendita (meno del 5% dell'intera provincia) .
NOVITÀ Il risultato che vedi dipende dai dati che siamo riusciti ad estrarre dall'annuncio: ottieni una stima più accuranta di questo immobile, inserendo dati più precisi.
N.B. L'Opinione di Caasa® è un servizio sperimentale realizzato tramite tecniche di Intelligenza Artificiale, fornito senza alcuna garanzia di correttezza e completezza. Leggi il disclaimer o segnalaci un problema.
IMMAGINI
IN SINTESI
PROPOSTO DA:
Convaloreagency
DESCRIZIONE
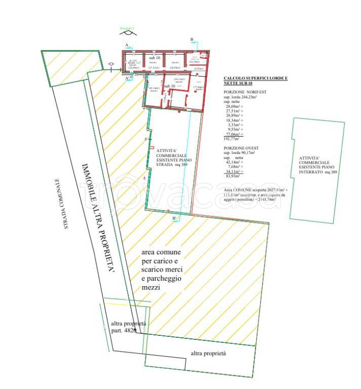
Occasione Unica: Spazio Commerciale 1000 mq con Potenziale Illimitato! Investitori e Imprenditori, attenzione! Presentiamo un'opportunità irripetibile in una zona strategica. Questo non è un semplice deposito, ma un centro polifunzionale ideale per diverse attività. Immagina: 1000 mq su doppio livello, perfetti per uffici, laboratorio e punto vendita mattonelle (o il tuo showroom). Un piano interrato con altezza regolare è già pronto per il cambio d'uso a commerciale, offrendo spazio extra per crescita. Disponi di un piazzale di circa 2000 mq (50% in condivisione) per un ampio parcheggio, un vantaggio inestimabile per clienti e personale. La versatilità è la chiave: questo locale si adatta a centro logistico, showroom, attività produttive, supermercati, palestre e molto altro. Non perdere questa chance di investimento in un'area in forte sviluppo. Contattaci subito per scoprire il potenziale illimitato del tuo prossimo business

