N.B. Tutti le informazioni immobiliari sono fornite senza alcuna garanzia. Leggi il disclaimer.
Locali di sgombero o negozi in vendita a Ancona in zona Baraccola - pg. 4 di 5
MODIFICA QUESTA RICERCAImmobile in vendita a Ancona(AN PREMIUM
negozio in vendita ad Ancona in zona Centro Storico
negozio Centro Storico Via Caduti del Lavoro 118.000 €
Cerved Property Services Italy S. r. l. propone in vendita un negozio di circa 100 mq, sito in un fabbricato di recente costruzione elevato su tre piani fuori terra, ad Ancona, zona Baraccola, in via Caduti del Lavoro n. 22. L'area di ubicazione dell'immobile presenta una buona dotazione di servizi e una […]
LEGGI ANCORA
Negozio in vendita ad Ancona via Franco Scataglini, 7, Baraccola - Aspio
negozio Aspio di Ancona Via Franco Scataglini
Vendita di un box commerciale ad Ancona, all'interno della zona industriale/commerciale, nei pressi del centro commerciale "Conero". L'immobile si sviluppa su una pianta rettangolare composta da piano terra e primo piano ad uso retail, oltre a spazi dedicati a parcheggi (circa 5.800 mq). La proprietà è s […]
LEGGI ANCORA
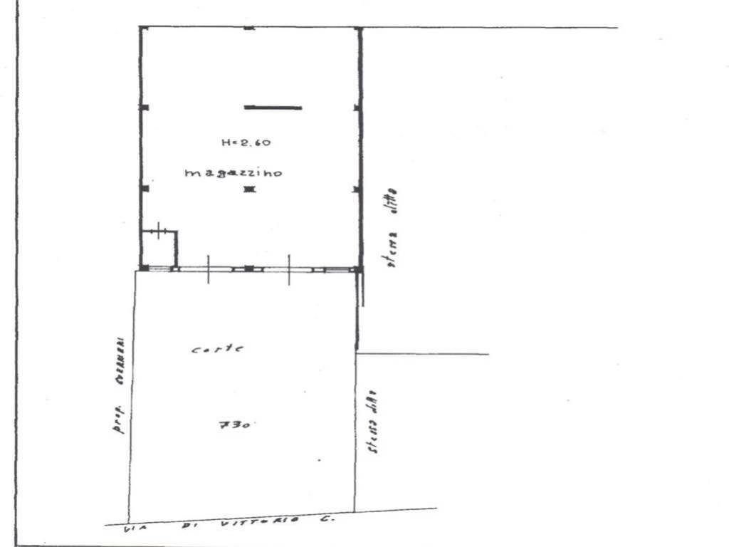
Magazzino in vendita ad Ancona, Baraccola - Aspio
locale di sgombero Baraccola Via Giuseppe Di Vittorio 60.000 €
VLC 5 BARACCOLA Sé sei alla ricerca di un magazzino questo potrebbe essere l'immobile che fà per te. Locale commerciale Cat. C 2 di 206 mq. al piano terra, H = 2,60ml Il magazzino dispone di n. 2 vani oltre al servizio, situato al piano terra, con corte antistante di 200 mq., il che lo rende comodo e acc […]
LEGGI ANCORA
- prezzo medio locale commerciale in zona OMI D5 : 626 €/m²
- prezzo medio locale commerciale in zona Baraccola : 578 €/m²
Appartamento ANCONA €.200000 MQ.200 Vani 3
locale di sgombero Piano San Lazzaro 200.000 €
VENDIAMO LOCALE DI MQ. 200 CIRCA AL PIANO TERRA SUDDIVISO IN 2 ZONE MAGAZZINO/ GARAGE PARTE ANTISTANTE ALLA STRADA AL PIANO TERRA, E LUMINOSO LOCALE STILE LOFT CON AMPIA VETRATA PNORAMICA, CON SOFFITTI ALTI 4,20 COMPLETAMENTE RISTRUTTURATO NELLA PARTE RETROSTANTE CHE RISULTA AL PRIMO PIANO CON AMPIO TERR […]
LEGGI ANCORA
- prezzo medio appartamento in zona OMI D5 : 1646 €/m²
- prezzo medio casa indipendente in zona OMI D5 : 1513 €/m²
locale di sgombero in vendita ad Ancona in zona Centro Storico
locale di sgombero Centro Storico 160.000 €
Magazzino in vendita ad Ancona – 189 mq Proponiamo in vendita un magazzino di 189 mq in ottimo stato, situato a soli 5 minuti dal centro di Ancona, a 3 minuti dal casello autostradale di Ancona Sud e nelle immediate vicinanze dell’ingresso della Variante Ancona Nord. L’immobile è suddiviso in più ambient […]
LEGGI ANCORA
- prezzo medio ufficio in zona OMI D5 : 1112 €/m²
- prezzo medio ufficio in zona Centro Storico : 1473 €/m²
Vendita Negozio Ancona PREMIUM
Descrizione dell'Immobile: Superficie: 256mq Posizione: Inserito in un prestigioso complesso commerciale nella zona Baraccola di Ancona Anno di Costruzione: 2000 Condizioni: Ottimamente rifinito Caratteristiche Principali: Locato con Contra […]
LEGGI ANCORA
Bar in vendita ad Ancona, Passo Varano
negozio Varano
Vendesi Pub nella zona di Ancona con una gestione decennale e con ottimi volumi d'affari. Rif. ANC01 - Trattativa Riservata * Agenzia immobiliare QualityCASA - Referente Roberto BEDINA - 3773433426 * N.B. in caso di risposta via mail allegare anche un recapito telefonico, grazie Non è l'attività che stai […]
LEGGI ANCORA
Vendesi negozio ad Ancona, Baraccola - Aspio
negozio Baraccola 160.000 €
ALLA BARACCOLA DI ANCONA PROPONIAMO IN VENDITA QUESTA SOLUZIONE MOLTO INTERESSANTE. PER CHI CERCA UN NEGOZIO O MAGAZZINO O ALTRI USI, PROPONIAMO IN VENDITA QUESTA SOLUZIONE AL PIANO TERRA-RIALZATO CON METRATURA INTERESSANTE. SE VERAMENTE INTERESSATI LA PROPRIETA' E' DISPOSTA A UNA SERIA PROPOSTA DI LOCAI […]
LEGGI ANCORA
Rustico/casale/corte in vendita ad Ancona via Primo Maggio, Baraccola - Aspio
locale di sgombero Aspio di Ancona Via Primo Maggio 645.000 €
Cerved Property Services Italy S.r.l propone in vendita complesso di fabbricati rurali totalmente da ristrutturare, ed un insieme di lotti di terreni agricoli. Le unità si compongono di un antico frantoio, con magazzini e depositi, ed annessi fabbricati rurali. L'intera struttura è suddivisa in quattro c […]
LEGGI ANCORA
Capannone industriale in vendita ad Ancona, Baraccola - Aspio
locale di sgombero Baraccola 195.000 €
Baraccola Ancona Riferimento Annuncio V-1587CCHFBusiness Ancona, località Baraccola, proponiamo in vendita magazzino fronte strada con 4 vetrine carrabili, corte esclusiva asfaltata a livello. Riferimento annuncio V-1587CCHFBusiness info e visite: 071 78561 346 7429203 353 4624869 e-mail: gestioneannunci […]
LEGGI ANCORA
locale di sgombero in vendita ad Ancona in zona Piano San Lazzaro
locale di sgombero Piano San Lazzaro 120.000 €
In una zona residenziale e tranquilla, proponiamo in vendita un ampio locale commerciale al piano terra, con doppio ingresso e comodità per il parcheggio. Il fabbricato risale agli anni 1980 ed è dotato di impianto di riscaldamento autonomo. L'immobile è composto da due stanze ad uso ufficio, un'ampia […]
LEGGI ANCORA
- prezzo medio ufficio in zona OMI D5 : 1112 €/m²
- prezzo medio locale commerciale in zona OMI D5 : 626 €/m²
Magazzino in vendita ad Ancona via Merloni, 10, Candia PREMIUM
- prezzo medio locale commerciale in zona OMI D5 : 626 €/m²
- prezzo medio locale commerciale in zona Candia : 625 €/m²
locale di sgombero in vendita ad Ancona in zona Piano San Lazzaro
locale di sgombero Piano San Lazzaro 78.000 €
ancona nel quartiere brecce bianche (vicino alla zona baraccola, sud di ancona) vendiamo locale di mq. 150 ca. al piano terra con doppio ingresso, uno con porta d' accesso e l' altro con vetrina. attualmente il locale e' utilizzato come magazzino-ufficio, ma sara' liberato al rogito. tutto e' in buone co […]
LEGGI ANCORA
- prezzo medio ufficio in zona OMI D1 : 1043 €/m²
- prezzo medio ufficio in zona Piano San Lazzaro : 1368 €/m²
locale di sgombero in vendita ad Ancona in zona Piano San Lazzaro
negozio Piano San Lazzaro 377.000 €
Magazzino - Deposito in Vendita Si propongono in vendita locali commerciali siti ad Ancona Si tratta di una porzione di immobile a pianta rettangolare, con accesso diretto dalla corte pertinenziale su via Grandi, caratterizzata da un locale negozio e tre depositi, posti catastalmente al piano interrato. […]
LEGGI ANCORA
- prezzo medio locale commerciale in zona OMI D5 : 626 €/m²
- prezzo medio locale commerciale in zona Piano San Lazzaro : 1042 €/m²
locale di sgombero in vendita ad Ancona in zona Baraccola
locale di sgombero Baraccola 125.000 €
RIF 551 SQ - In zona Baraccola Ovest, proponiamo in vendita magazzino di circa 390 mq al piano terra. L'immobile dispone di 4 ampie vetrine con accesso diretto, ideali per operazioni di carico e scarico, ed è caratterizzato da una notevole luminosità naturale. La luminosità lo rende utilizzabile anche co […]
LEGGI ANCORA
- prezzo medio ufficio in zona OMI D5 : 1112 €/m²
- prezzo medio locale commerciale in zona OMI D5 : 626 €/m²
Capannone industriale in vendita ad Ancona via Achille Grandi, 1, Baraccola - Aspio
Proposto da:
locale di sgombero Baraccola 137.000 €
Baraccola Ancona Riferimento Annuncio V-1589CCHFBusiness Ancona, località Baraccola, proponiamo in vendita magazzino fronte strada con 2 vetrine carrabili, corte esclusiva asfaltata a livello. Riferimento annuncio V-1589CCHFBusiness info e visite: e-mail: CONSULRE una storia di successo dal 1986 MUTUI, c […]
LEGGI ANCORA
- prezzo medio locale commerciale in zona OMI D5 : 626 €/m²
- prezzo medio casa indipendente in zona OMI D5 : 1513 €/m²
Terreno residenziale in vendita ad Ancona, Candia
negozio Candia 170.000 €
Nel quartiere di Candia, in posizione panoramica con vista mare e Monte Conero, a cinque minuti da tutti i primari servizi come supermercati, bar, ecc., proponiamo in vendita lotto edificabile di mq. 1.168,00 con possibilità edificatoria di una casa singola di mq. 200,00 circa su un unico livello, e post […]
LEGGI ANCORA
Immobile in vendita a Ancona(AN PREMIUM
Capannone industriale in vendita ad Ancona via Achille Grandi, 1, Baraccola - Aspio
Proposto da:
locale di sgombero Baraccola 135.000 €
Baraccola Ancona Riferimento Annuncio V-1588CCHFBusiness Ancona, località Baraccola, proponiamo in vendita magazzino fronte strada con 2 vetrine carrabili, corte esclusiva asfaltata a livello. Riferimento annuncio V-1588CCHFBusiness info e visite: e-mail: CONSULRE una storia di successo dal 1986 MUTUI, c […]
LEGGI ANCORA
Capannone industriale in vendita ad Ancona, Baraccola - Aspio
locale di sgombero Baraccola 408.000 €
Ancona (AN) Riferimento Annuncio V-1791CCpa Ancona, località Baraccola La porzione di immobile in vendita è costituita da diversi beni e precisamente da un opificio industriale, al piano terra, un magazzino e una abitazione, al piano primo e fanno parte di un capannone di più ampie dimensioni con corte e […]
LEGGI ANCORA
- prezzo medio locale commerciale in zona Baraccola : 578 €/m²
- prezzo medio locale commerciale ad Ancona : 847 €/m²
Vendesi negozio ad Ancona via achille grandi, 3, Baraccola - Aspio
negozio Baraccola 890.000 €
Yard Re propone in vendita asset situato in Via Achille Grandi ad Ancona. Il complesso, con una superficie totale di 799 mq, si distingue per la sua versatilità e ampiezza degli spazi, comprendendo due unità ad uso ufficio al secondo piano, quattro locali tecnici al terzo piano e un magazzino commerciale […]
LEGGI ANCORA
Non perdere gli altri 59 annunci!




