Agenzia immobiliare a Paese (Treviso)
                                
                                ZENITH SERVIZI IMMOBILIARI S.R.L. - pagina 2 di 4
                        DATI SOCIALI
Contatti
 
                                Non ancora verificata da Caasa®
E' la tua agenzia?
Annunci dell'agenzia
 
                                in zona servitissima vendiamo terreno edificabile con sovrastanti due unità abitative indipendenti da ristrutturare o demolire e ricostruire, zona centrale e comoda ai servizi. Ulteriori informazio…
 
                                In vendita a Paese, proponiamo una villa bifamiliare situata in un contesto medio signorile. L'immobile si sviluppa su un unico piano terra e offre una superficie di 160 mq. La villa è composta da …
 
                                In zona tranquilla ma comoda a tutti i servizi grazioso mini appartamento con ingresso indipendente e spazio esterno Al pianterreno: piccolo soggiorno con angolo cottura arredato, disimpegno, bagno…
 
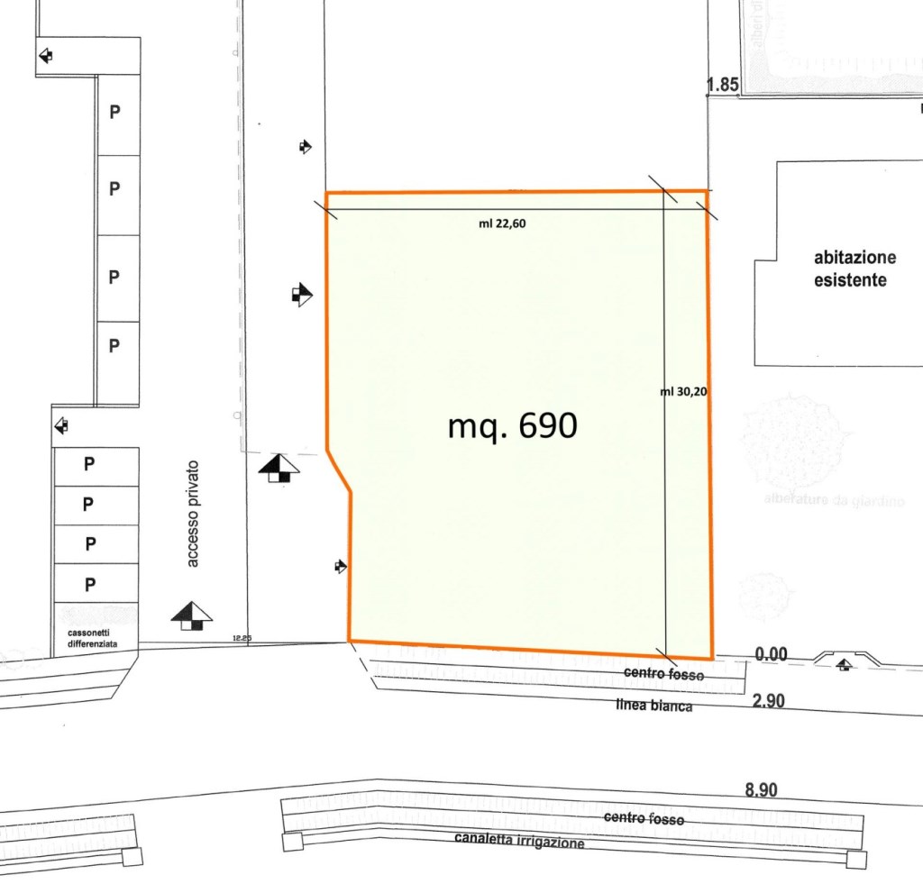
                                In vendita terreno edificabile di 690 mq situato in un contesto medio signorile a Paese. Questa è un'opportunità unica per realizzare la tua casa dei sogni in una zona tranquilla e ben servita. Il …
 
                                In vendita a PAESE, proponiamo un appartamento di 80 mq situato al terzo piano di un edificio dotato di ascensore. Questa soluzione abitativa, caratterizzata da un'ottima distribuzione degli spazi,…
 
                                In vendita a Paese, proponiamo un appartamento di 70 mq situato al primo e ultimo piano di recente piccolo resdence. Questo immobile, caratterizzato da una è composto da 3 vani ben distribuiti, tr…
 
                                Appartamento al terzo piano con ascensore, in buone condizioni anche da reddito ubicato in zona comoda a tutti i servizi composto da: cucinotto, soggiorno con terrazza, disimpegno. bagno. camera do…
 
                                In vendita terreno agricolo di 2000 mq di forma regolare circa metri 78*26 situato in zona centrale a Paese, ideale per chi desidera realizzare un progetto di orto urbano o giardino. Il terreno, co…
 
                                            


