Valutazione immobiliare indipendente, accurata e gratuita
Appartamento in vendita ad Ambivere a 36.405 € (cod.65090070)
Caasa non ha sufficienti informazioni per commentare l'appartamento in vendita ad Ambivere - 65090070.
Analisi immobiliare
I dati in posseso di Caasa per quest'immobile sono insufficienti, inaffidabili o contraddittori per proporre un'analisi attendibile.
Mercato immobiliare ad Ambivere
Per quanto riguarda più in generale il comune di Ambivere, sono presenti al momento più di venti annunci per
appartamenti in vendita (meno dell'1% dell'intera provincia) .
NOVITÀ Il risultato che vedi dipende dai dati che siamo riusciti ad estrarre dall'annuncio: ottieni una stima più accuranta di questo immobile, inserendo dati più precisi.
N.B. L'Opinione di Caasa® è un servizio sperimentale realizzato tramite tecniche di Intelligenza Artificiale, fornito senza alcuna garanzia di correttezza e completezza. Leggi il disclaimer o segnalaci un problema.
IMMAGINI
IN SINTESI
PROPOSTO DA:
Case all'Asta
DESCRIZIONE
di recente costruzione con giardino in asta giudiziaria di recente costruzione
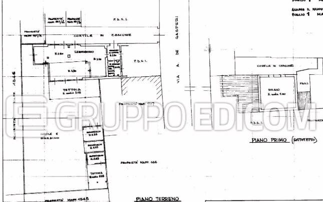
Laboratorio al piano terra con area cortilizia-giardino e solaio al primo piano. Presenti due tettoie esterne, tre ripostigli e accesso comune con altra proprietà. Nessun costo di iscrizione con Case all'Asta - Acquista senza Rischi. Data di asta: 13 […]
